(1) (1)
  • El Zorzal

Venta

Terreno

Precio

Buscar solo avisos en moneda:

Dorm|Amb

Más filtros Más filtros

Características

Superficie total

Nombre de calle y altura

Tipo de urbanización

Fot

Servicios

Tipo de anunciante

8 Terrenos en Venta en El Zorzal

1/7
Visto

0

USD 45.000

Ruta Provincial 47

Terreno en Venta en El Zorzal, Parada Robles

REMAX Go
  • 2.713 m² Total
  • Bueno

VENTA DE LOTE PARADA DE ROBLES

Corredor responsable: diego josé muiños cmcpsi 5352/ cristian javier alonso cucicba 6252 - contacto: alejandra zapata venta de lote – barrio el zorzal, parada de robles – exaltación de la cruz ¿Buscas un lugar donde la tranquilidad y la naturaleza sean parte de tu día a día? Este hermoso terreno es justo lo que estás buscando. Ubicado en la calle el jilguero, dentro del barrio el zorzal, en parada de robles (partido de exaltación de la cruz), este lote combina perfectamente accesibilidad, serenidad y entorno natural. Zona de quintas ideal tanto para una vivienda permanente como para tu refugio de fin de semana. Características del lote: superficie total: 2.713 m². Con escritura. Entorno arbolado, con naturaleza, tranquilidad y buena vecindad. Ubicación y accesos: desde panamericana (ruta nacional nº 8), tomar la bajada \"parada robles / capilla del señor / exaltación de la cruz\" (km 72 aprox.). Seguir por ruta 192 en dirección a open door. A solo 3 minutos, ingresar al barrio el zorzal (mano derecha) y tomar calle el jilguero. A tan solo 10 minutos del centro comercial de parada robles, donde encontrarás jardín maternal, club social, capilla nuestra señora del rosario de san nicolás, sala de primeros auxilios, comercios, almacenes, transporte y servicios esenciales. Un lugar para empezar nuevas historias. Este lote no es solo un terreno; es una promesa de amaneceres con café, tardes entre árboles y noches estrelladas. Un espacio donde pueden comenzar tus próximos recuerdos. Https: maps.App.Goo.Gl/vdrgpeyoprqmmq9u9 el jilguero:34°23\'36.5\"s 59°07\'50.4\"w si tenes que vender tu propiedad no dejes de consultarme para poder asesorarte. Déjame un mensajito para mas información y me comunico a la brevedad o agendar una visita. Rau s.R.L. No ejerce el corretaje inmobiliario. El presente sitio web es una plataforma en donde cada oficina inmobiliaria independiente que contrata los servicios re/max puede publicar las propiedades a su cargo. Cada oficina es de propiedad y gestión independiente, por lo que rau s.R.L. No interviene en los datos de la publicación, en la operación inmobiliaria, ni en la confección y/o firma del boleto de compraventa y/o escritura y/o contrato de alquiler. En cumplimiento de las leyes vigentes que regulan el corretaje inmobiliario, ley nacional 25.028, ley 22.802 de lealtad comercial, ley 24.240 de defensa al consumidor, las normas del código civil y comercial de la nación y constitucionales, los agentes/gestores no ejercen el corretaje inmobiliario. Todas las operaciones inmobiliarias son objeto de intermediación y conclusión por parte del corredor público inmobiliario colegiado a cargo de la publicación, cuyos datos se exhiben en la presente. La presente publicación describe las características esenciales del inmueble, debiéndose consultar al corredor público inmobiliario responsable de la operación por la eventual actualización de las medidas, descripciones arquitectónicas y funcionales, valores de expensas, servicios, impuestos, precios y demás información, cuyos valores son aproximados. Comprá la casa que querés! No la que podés. Accedé a un préstamo por hasta el 30% del valor de esta propiedad. Simulá tu cuota en lendar

Contactar
1/9
Visto

0

USD 45.000

Ruta Provincial 47

Terreno en Venta en El Zorzal, Parada Robles

REMAX Go
  • 2.687 m² Total
  • Bueno

VENTA DE LOTE PARADA DE ROBLES

Corredor responsable: diego josé muiños cmcpsi 5352/ cristian javier alonso cucicba 6252 - contacto: alejandra zapata venta de lote – barrio el zorzal, parada de robles – exaltación de la cruz ¿Buscas un lugar donde la tranquilidad y la naturaleza sean parte de tu día a día? Este hermoso terreno es justo lo que estás buscando. Ubicado en la calle la golondrina, dentro del barrio el zorzal, en parada de robles (partido de exaltación de la cruz), este lote combina perfectamente accesibilidad, serenidad y entorno natural. Zona de quintas ideal tanto para una vivienda permanente como para tu refugio de fin de semana. Características del lote: superficie total: 2.687 m². Con escritura. Entorno arbolado, con naturaleza, tranquilidad y buena vecindad. Ubicación y accesos: desde panamericana (ruta nacional nº 8), tomar la bajada \"parada robles / capilla del señor / exaltación de la cruz\" (km 72 aprox.). Seguir por ruta 192 en dirección a open door. A solo 3 minutos, ingresar al barrio el zorzal (mano derecha) y tomar calle la golondrina. A tan solo 10 minutos del centro comercial de parada robles, donde encontrarás jardín maternal, club social, capilla nuestra señora del rosario de san nicolás, sala de primeros auxilios, comercios, almacenes, transporte y servicios esenciales. Un lugar para empezar nuevas historias. Este lote no es solo un terreno; es una promesa de amaneceres con café, tardes entre árboles y noches estrelladas. Un espacio donde pueden comenzar tus próximos recuerdos. Ubicación gps la golondrina:34°23\'39.3\"s 59°07\'54.2\" whttps: maps.App.Goo.Gl/etf73ufforxwpyud9 si tenes que vender tu propiedad no dejes de consultarme para poder asesorarte. Déjame un mensajito para mas información y me comunico a la brevedad o agendar una visita. Rau s.R.L. No ejerce el corretaje inmobiliario. El presente sitio web es una plataforma en donde cada oficina inmobiliaria independiente que contrata los servicios re/max puede publicar las propiedades a su cargo. Cada oficina es de propiedad y gestión independiente, por lo que rau s.R.L. No interviene en los datos de la publicación, en la operación inmobiliaria, ni en la confección y/o firma del boleto de compraventa y/o escritura y/o contrato de alquiler. En cumplimiento de las leyes vigentes que regulan el corretaje inmobiliario, ley nacional 25.028, ley 22.802 de lealtad comercial, ley 24.240 de defensa al consumidor, las normas del código civil y comercial de la nación y constitucionales, los agentes/gestores no ejercen el corretaje inmobiliario. Todas las operaciones inmobiliarias son objeto de intermediación y conclusión por parte del corredor público inmobiliario colegiado a cargo de la publicación, cuyos datos se exhiben en la presente. La presente publicación describe las características esenciales del inmueble, debiéndose consultar al corredor público inmobiliario responsable de la operación por la eventual actualización de las medidas, descripciones arquitectónicas y funcionales, valores de expensas, servicios, impuestos, precios y demás información, cuyos valores son aproximados. Comprá la casa que querés! No la que podés. Accedé a un préstamo por hasta el 30% del valor de esta propiedad. Simulá tu cuota en lendar

Contactar
1/11
Visto

0

USD 39.500

Ruta 47 y La Calandria

Terreno en Venta en El Zorzal, Parada Robles

REMAX 197
  • 1.500 m² Total
  • Excelente

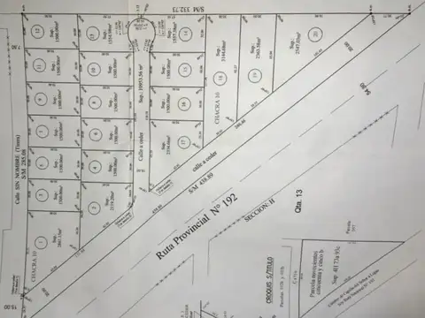
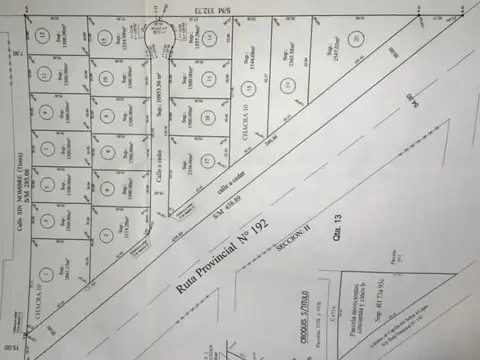
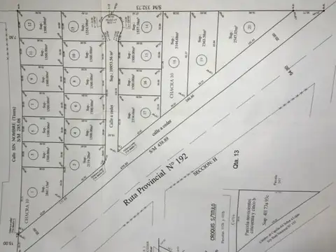
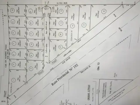
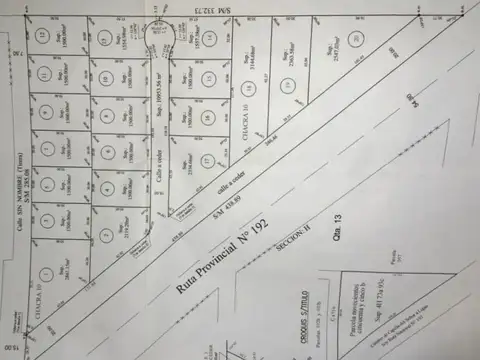
OPORTUNIDAD DE LOTES CON TRANQUERA CERRADA

Corredor responsable: horacio alberto lora csm 2837 / rolando cesar olmedo cpi 9518 - contacto: rolando cesar olmedo remax197 presenta: lote en venta con tranquera cerrada - ¡Oportunidad única! ¿Buscas un lugar seguro y tranquilo para construir tu hogar, tener tu lugar de relax o invertir en un proyecto inmobiliario? ¡Este lote es para vos! Ubicado en un zona residencial de alta demanda sobre un total de 20 lotes de distintos metrajes, este lote cuenta con tranquera cerrada para los lotes centrales, ofrece una oportunidad única para aquellos que buscan un lugar seguro y tranquilo para vivir o invertir. A dos km de la ruta nacional 8, la entrada de parada roble y su centro comercial. A solo 70 km de caba por autopista y a minutos de los centros comerciales de pilar parada de colectivo en la puerta del desarrollo. Características: lote de 1500 m2 tranquera cerrada con acceso controlado ubicación estratégica en el barrio \" el zorzalito\" excelente oportunidad para construir tu hogar o invertir en un proyecto inmobiliario precio contado : u$$ 39500 financiación: u$$ 20300 para posesión y el resto en cuotas fijas sin interés con hipoteca privada ¡No te pierdas esta oportunidad! Contáctanos para programar una visita y conocer más sobre este lote. . Rau s.R.L. No ejerce el corretaje inmobiliario. El presente sitio web es una plataforma en donde cada oficina inmobiliaria independiente que contrata los servicios re/max puede publicar las propiedades a su cargo. Cada oficina es de propiedad y gestión independiente, por lo que rau s.R.L. No interviene en los datos de la publicación, en la operación inmobiliaria, ni en la confección y/o firma del boleto de compraventa y/o escritura y/o contrato de alquiler. En cumplimiento de las leyes vigentes que regulan el corretaje inmobiliario, ley nacional 25.028, ley 22.802 de lealtad comercial, ley 24.240 de defensa al consumidor, las normas del código civil y comercial de la nación y constitucionales, los agentes/gestores no ejercen el corretaje inmobiliario. Todas las operaciones inmobiliarias son objeto de intermediación y conclusión por parte del corredor público inmobiliario colegiado a cargo de la publicación, cuyos datos se exhiben en la presente. La presente publicación describe las características esenciales del inmueble, debiéndose consultar al corredor público inmobiliario responsable de la operación por la eventual actualización de las medidas, descripciones arquitectónicas y funcionales, valores de expensas, servicios, impuestos, precios y demás información, cuyos valores son aproximados. Comprá la casa que querés! No la que podés. Accedé a un préstamo por hasta el 30% del valor de esta propiedad. Simulá tu cuota en lendar

Contactar
1/15
Visto

0

USD 60.000

Ruta 47 y La Calandria

Terreno en Venta en El Zorzal, Parada Robles

REMAX 197
  • 2.861 m² Total
  • Excelente

OPORTUNIDAD DE LOTES CON TRANQUERA CERRADA

Corredor responsable: horacio alberto lora csm 2837 / rolando cesar olmedo cpi 9518 - contacto: rolando cesar olmedo remax197 presenta: lote en venta con tranquera cerrada - ¡Oportunidad única! ¿Buscas un lugar seguro y tranquilo para construir tu hogar, tener tu lugar de relax o invertir en un proyecto inmobiliario? ¡Este lote es para vos! Ubicado en un zona residencial de alta demanda sobre un total de 20 lotes de distintos metrajes, este lote cuenta con tranquera cerrada para los lotes centrales, ofrece una oportunidad única para aquellos que buscan un lugar seguro y tranquilo para vivir o invertir. A dos km de la ruta nacional 8, la entrada de parada roble y su centro comercial. A solo 70 km de caba por autopista y a minutos de los centros comerciales de pilar parada de colectivo en la puerta del desarrollo. Características: lote de 2861 m2 tranquera cerrada con acceso controlado ubicación estratégica en el barrio \" el zorzalito\" excelente oportunidad para construir tu hogar o invertir en un proyecto inmobiliario precio contado : u$$ 60000 financiación: u$$ 30000 para posesión y el resto en cuotas fijas sin interés con hipoteca privada ¡No te pierdas esta oportunidad! Contáctanos para programar una visita y conocer más sobre este lote. Rau s.R.L. No ejerce el corretaje inmobiliario. El presente sitio web es una plataforma en donde cada oficina inmobiliaria independiente que contrata los servicios re/max puede publicar las propiedades a su cargo. Cada oficina es de propiedad y gestión independiente, por lo que rau s.R.L. No interviene en los datos de la publicación, en la operación inmobiliaria, ni en la confección y/o firma del boleto de compraventa y/o escritura y/o contrato de alquiler. En cumplimiento de las leyes vigentes que regulan el corretaje inmobiliario, ley nacional 25.028, ley 22.802 de lealtad comercial, ley 24.240 de defensa al consumidor, las normas del código civil y comercial de la nación y constitucionales, los agentes/gestores no ejercen el corretaje inmobiliario. Todas las operaciones inmobiliarias son objeto de intermediación y conclusión por parte del corredor público inmobiliario colegiado a cargo de la publicación, cuyos datos se exhiben en la presente. La presente publicación describe las características esenciales del inmueble, debiéndose consultar al corredor público inmobiliario responsable de la operación por la eventual actualización de las medidas, descripciones arquitectónicas y funcionales, valores de expensas, servicios, impuestos, precios y demás información, cuyos valores son aproximados. Comprá la casa que querés! No la que podés. Accedé a un préstamo por hasta el 30% del valor de esta propiedad. Simulá tu cuota en lendar

Contactar
1/15
Visto

0

USD 49.000

Ruta 47 y La Calandria

Terreno en Venta en El Zorzal, Parada Robles

REMAX 197
  • 2.334 m² Total
  • Excelente

LOTES EN PARADA ROBLE FINANCIADOS

Corredor responsable: horacio alberto lora csm 2837 / rolando cesar olmedo cpi 9518 - contacto: rolando cesar olmedo remax197 presenta: lote en venta con tranquera cerrada - ¡Oportunidad única! ¿Buscas un lugar seguro y tranquilo para construir tu hogar, tener tu lugar de relax o invertir en un proyecto inmobiliario? ¡Este lote es para vos! Ubicado en un zona residencial de alta demanda sobre un total de 20 lotes de distintos metrajes, este lote cuenta con tranquera cerrada para los lotes centrales, ofrece una oportunidad única para aquellos que buscan un lugar seguro y tranquilo para vivir o invertir. A dos km de la ruta nacional 8, la entrada de parada roble y su centro comercial. A solo 70 km de caba por autopista y a minutos de los centros comerciales de pilar parada de colectivo en la puerta del desarrollo. Características: lote de 2335 m2 tranquera cerrada con acceso controlado ubicación estratégica en el barrio \" el zorzalito\" excelente oportunidad para construir tu hogar o invertir en un proyecto inmobiliario precio contado : u$$ 49000 financiación: u$$ 24500 para posesión y el resto en cuotas fijas sin interés con hipoteca privada ¡No te pierdas esta oportunidad! Contáctanos para programar una visita y conocer más sobre este lote. Rau s.R.L. No ejerce el corretaje inmobiliario. El presente sitio web es una plataforma en donde cada oficina inmobiliaria independiente que contrata los servicios re/max puede publicar las propiedades a su cargo. Cada oficina es de propiedad y gestión independiente, por lo que rau s.R.L. No interviene en los datos de la publicación, en la operación inmobiliaria, ni en la confección y/o firma del boleto de compraventa y/o escritura y/o contrato de alquiler. En cumplimiento de las leyes vigentes que regulan el corretaje inmobiliario, ley nacional 25.028, ley 22.802 de lealtad comercial, ley 24.240 de defensa al consumidor, las normas del código civil y comercial de la nación y constitucionales, los agentes/gestores no ejercen el corretaje inmobiliario. Todas las operaciones inmobiliarias son objeto de intermediación y conclusión por parte del corredor público inmobiliario colegiado a cargo de la publicación, cuyos datos se exhiben en la presente. La presente publicación describe las características esenciales del inmueble, debiéndose consultar al corredor público inmobiliario responsable de la operación por la eventual actualización de las medidas, descripciones arquitectónicas y funcionales, valores de expensas, servicios, impuestos, precios y demás información, cuyos valores son aproximados. Comprá la casa que querés! No la que podés. Accedé a un préstamo por hasta el 30% del valor de esta propiedad. Simulá tu cuota en lendar

Contactar