(1) (1)
  • Avenida

Venta

Terreno

Precio

Buscar solo avisos en moneda:

Dorm|Amb

Más filtros Más filtros

Superficie total

Nombre de calle y altura

Tipo de urbanización

Fot

Tipo de anunciante

2 Terrenos en Venta en Avenida

1/9
Visto

31

USD 225

Sol de Mayo 1300

Terreno en Venta en Avenida, Cordoba

Trigo Propiedades
  • terren.
  • 33.000 m² Total
  • 225 mts Frente

3 lotes 33.000 m2 para construir CORDOBA cerca de Ruta 20 Financiación y permuta Inversion

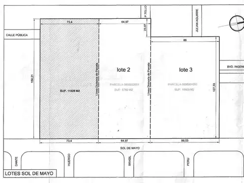
Terreno para construir a min del centro de la ciudad de cordoba se escuchan propuestas de financiacion y permutas parciales ubicación: bº avenida zona oeste, a metros de super mami, dinosaurio mall. A metros de ruta 20, av. Fuerza aerea. A 30 min de villa carlos paz ideal desarrollistas, empresas constructoras. Sirve para complejos, casonas, etc. Posee todos los servicios sup. Terreno: 31 700 m2 sup. Máxima edificable: 60.000 m2 aprox. Altura permitida: 12 mts o 21 si se disponen en tipologías aisladas (tipo torres) 3 lotes lote 1: 73,40 x 150,21 sup total: 11 029 m2 lote 2: 64,97 x 150,21 sup total: 9 760 m2 lote 3: 86,03 x 127,0 sup total: 10 929 m2 para más imágenes en cordoba trigo propiedades en buenos aires mariela trigo: en villa carlos paz con inmobiliaria biderbost, otros terrenos en cordoba tenemos otros terrenos en cordoba a la venta 1) 3600 m2 en av. Sabattini esquina gorriti para construir 14.000m2! 2) 3 lotes 33.000 m2 para construir cordoba cerca de ruta 20 financiación y permuta inversion 3) maestro vidal 667 casa a reciclar 450 m2 terreno de 450 m2 4) colectora sur terreno 6000 m2 3000 superficie cubierta 5) cerro de las rosas 900 m2 19x44 para construir 3 plantas 6) esquina de 583m2 en av cordillera! B centenario 7) 5 lotes unidos vendo en alberdi - 2059 m2 total ! - Calle santa rosa - mismo dueño 8) 475 m2 en alberdi castex entre colon y 9 de julio apto 8 plantas 9) 5000 m2 de terreno en circunvalacion sur patron 4b 10) 3 terrenos en alta cordoba para construir 7 plantas 818 m2 11) terrenos en av. Valparaiso zona sur

Contactar
1/12
Visto

21

USD 180

Sol de Mayo 1200

Terreno en Venta en Avenida, Cordoba

Trigo Propiedades
  • terren.
  • 22.000 m² Total
  • 73 mts Frente

Terreno Venta 2 Lotes Sol de Mayo Avenida Super Mami apto 400 unidades

Terreno para construir a min del centro de la ciudad de córdoba. 2 lotes. Sol de mayo 1242 casi esquina luis agote bº avenida zona oeste, a metros de super mami, dinosaurio mall. Cercano a ruta 20, av. Fuerza aérea. A metros de importante complejo habitacional posee todos los servicios lote 2: 64,97 x 150,21 sup total: 9 760 m2 lote 3: 86,03 x 127,0 sup total: 10 929 m2 precio: 180 dol el m2 fot 2 fos 50 apto 4 plantas apto 400 unidades funcionales ubicación este predio está ubicado sobre calle sol de mayo al 1200 y se encuentra afectado según ordenanza vigente por el área especial “rotonda av. Fuerza aérea argentina” y su carácter urbanístico es “zona de ubicación periférica, destinada a extender la urbanización con un uso de suelo residencial de media densidad donde se alienta la ocupación de planes que provean equipamiento y servicios a nivel sector urbano con intensidades de edificación diferenciadas, mayor número de unidades de vivienda y formas variadas de ocupación sitios de cercanía: hospital policlínico policial, clínica privada vélez sarsfield, colegio nuestra sra. Del loreto, escuela montessori, colegio san josé, dinosaurio mall. Barrios de cercanía: observatorio, centro, los naranjos, parque capital, san francisco, ciudad universitaria pedir estudio de prefactibilidad comercializa trigo propiedades whatsapp de buenos aires mariela cel de cordoba victor hugo

Contactar