USD 165.000
Carlos Casares al 4000
Local en Venta en Victoria Barrio Fate, Victoria
-
215 m² Total
-
1 planta
-
46 años
Venta de Local y depósito en Carlos Casares al 4000
Local comercial con depósito en venta barrio fate, victoria (san fernando)
se vende amplio local comercial con depósito, actualmente funcionando como panadería, ubicado frente a la plaza, en el corazón del barrio fate.
Zona de alto tránsito peatonal y vehicular, ideal para todo tipo de rubros comerciales.
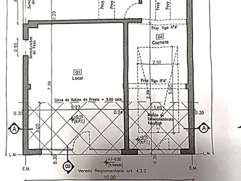
Superficie total: 215 m2
características::
salón comercial al frente de 42,64 m2 (5,77 de frente x 7,39 de fondo)
sector de depósito / producción en la parte posterior.
Espacio en cochera cubierta para dos vehículos.
Terraza.
Excelente visibilidad y entorno consolidado
importante:
el inmueble no cuenta con servicios propios de electricidad, gas, agua ni cloacas. El futuro propietario deberá considerar las instalaciones actuales de estos servicios y solicitar los medidores a las empresas correspondientes. Esta condición debe tenerse en cuenta dentro de las refacciones necesarias para habilitar el local.
Ubicación estratégica: ideal para emprendimientos gastronómicos, mini mercados, oficinas o locales de atención al público.
Zonificación municipal: c2au1
fot: 3 | fos: 60%
consultanos para más información o coordinar una visita.
Norte bienes raices sa corredor inmobiliario: alejandro sessarego csi 4496 / cpi 7383
en cumplimiento de las leyes vigentes que regulan el corretaje inmobiliario, ley nacional 25.028, ley 22.802 de lealtad comercial, ley 24.240 de defensa al consumidor, las normas del código civil y comercial de la nación y constitucionales, los agentes/gestores no ejercen el corretaje inmobiliario. Todas las operaciones inmobiliarias son objeto de intermediación y conclusión por parte del corredor público inmobiliario colegiado a cargo de la publicación, cuyos datos se exhiben en la presente. La presente publicación describe las características esenciales del inmueble, debiéndose consultar al corredor público inmobiliario responsable de la operación por la eventual actualización de las medidas, descripciones arquitectónicas y funcionales, valores de expensas, servicios, impuestos, precios y demás información, cuyos valores son aproximados.