(1) (1)
  • Avellaneda

Operación

Propiedad

Precio

Buscar solo avisos en moneda:

Dorm|Amb

Dormitorios

  • 1
  • 2
  • 3
  • 4
  • 5+

Ambientes

  • Mono.
  • 2
  • 3
  • 4
  • 5+

Más filtros Más filtros

Dormitorios

  • 1
  • 2
  • 3
  • 4
  • 5+

Ambientes

  • Mono.
  • 2
  • 3
  • 4
  • 5+

Características

Superficie cubierta

Cocheras

Baños

Nombre de calle y altura

Tipo de urbanización

Servicios

Tipo de anunciante

Propiedades e Inmuebles en Avellaneda

49 resultados

1/5
Visto

0

Consultar precio

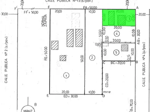
14 y 3

Terreno en Venta en Avellaneda, Departamento de General Obligado

  • 543 m² Total
  • Excelente

En Venta terreno en Barrio Norte Avellaneda

Corredor responsable: melisa v. Franzoi cci matricula n°0494 - contacto: carla bianchi lote en venta sobre calle 14 avellaneda, santa fe ubicado en esquina, intersección de calles 3 y 14 barrio norte de avellaneda medidas 12,50 x 43.40 = 542,50 m2. El terreno puede ser dividido mediante plano de mensura, lo que nos permitiría vender cada parte en forma individual . Una de las facciones quedaría sobre calle 14 y la otra sobre esquina calle 14 y 3. Característica destacable, su ubicación se encuentra a : - 100 metros de paseo aeróbico - 200 metros club barrio norte - 300 metros plaza central - 450 metros colegios - 500 metros unión agrícola avellaneda contactanos para mas informacion! Rau s.R.L. No ejerce el corretaje inmobiliario. El presente sitio web es una plataforma en donde cada oficina inmobiliaria independiente que contrata los servicios re/max puede publicar las propiedades a su cargo. Cada oficina es de propiedad y gestión independiente, por lo que rau s.R.L. No interviene en los datos de la publicación, en la operación inmobiliaria, ni en la confección y/o firma del boleto de compraventa y/o escritura y/o contrato de alquiler. En cumplimiento de las leyes vigentes que regulan el corretaje inmobiliario, ley nacional 25.028, ley 22.802 de lealtad comercial, ley 24.240 de defensa al consumidor, las normas del código civil y comercial de la nación y constitucionales, los agentes/gestores no ejercen el corretaje inmobiliario. Todas las operaciones inmobiliarias son objeto de intermediación y conclusión por parte del corredor público inmobiliario colegiado a cargo de la publicación, cuyos datos se exhiben en la presente. La presente publicación describe las características esenciales del inmueble, debiéndose consultar al corredor público inmobiliario responsable de la operación por la eventual actualización de las medidas, descripciones arquitectónicas y funcionales, valores de expensas, servicios, impuestos, precios y demás información, cuyos valores son aproximados.

Contactar
1/11
Visto

0

USD 53.000

Calle 111 1500

Casa en Venta en Avellaneda, Departamento de General Obligado

  • 64,22 m² cubie.
  • 2 dorm.
  • 2 años

SE VENDE CASA A ESTRENAR EN AVELLANEDA

Corredor responsable: melisa v. Franzoi cci matricula n°0494 - contacto: danisa morzan ubicada en calle 111 n° 1526, avellaneda santa fe .La propiedad cuenta con: un living, comedor y cocina dos dormitorios un baño con todos los artefactos lavadero en el exterior de la propiedad sup. Del terreno de 10 x 30 (300 m2) sup. Ocupada 64,22 m2 rau s.R.L. No ejerce el corretaje inmobiliario. El presente sitio web es una plataforma en donde cada oficina inmobiliaria independiente que contrata los servicios re/max puede publicar las propiedades a su cargo. Cada oficina es de propiedad y gestión independiente, por lo que rau s.R.L. No interviene en los datos de la publicación, en la operación inmobiliaria, ni en la confección y/o firma del boleto de compraventa y/o escritura y/o contrato de alquiler. En cumplimiento de las leyes vigentes que regulan el corretaje inmobiliario, ley nacional 25.028, ley 22.802 de lealtad comercial, ley 24.240 de defensa al consumidor, las normas del código civil y comercial de la nación y constitucionales, los agentes/gestores no ejercen el corretaje inmobiliario. Todas las operaciones inmobiliarias son objeto de intermediación y conclusión por parte del corredor público inmobiliario colegiado a cargo de la publicación, cuyos datos se exhiben en la presente. La presente publicación describe las características esenciales del inmueble, debiéndose consultar al corredor público inmobiliario responsable de la operación por la eventual actualización de las medidas, descripciones arquitectónicas y funcionales, valores de expensas, servicios, impuestos, precios y demás información, cuyos valores son aproximados.

Contactar
1/8
Visto

0

USD 55.000

-29.07831, -59.62512

Terreno en Venta en Avellaneda, Departamento de General Obligado

  • 9.075 m² Total

TERRENO EN AVELLANEDA

Corredor responsable: melisa v. Franzoi cci matricula n°0494 - contacto: virginia masat lote n°8 en venta de 9.075m² loteo stechina avellaneda, santa fe este amplio terreno se encuentra ubicado al norte de la ciudad de avellaneda mide :68.75 de frente por 132m de fondo con una superficie total de 9075m2 aproximadamente a 200 metros de la ruta nacional 11 y a 200 metros del puesto de gendarmería. Con orientación hacia el norte, el predio ofrece un fácil acceso que lo convierte en una opción ideal para proyectos comerciales, industriales o de inversión. La propiedad cuenta con servicio de electricidad, lo que facilita el desarrollo de diversos tipos de emprendimientos. Rau s.R.L. No ejerce el corretaje inmobiliario. El presente sitio web es una plataforma en donde cada oficina inmobiliaria independiente que contrata los servicios re/max puede publicar las propiedades a su cargo. Cada oficina es de propiedad y gestión independiente, por lo que rau s.R.L. No interviene en los datos de la publicación, en la operación inmobiliaria, ni en la confección y/o firma del boleto de compraventa y/o escritura y/o contrato de alquiler. En cumplimiento de las leyes vigentes que regulan el corretaje inmobiliario, ley nacional 25.028, ley 22.802 de lealtad comercial, ley 24.240 de defensa al consumidor, las normas del código civil y comercial de la nación y constitucionales, los agentes/gestores no ejercen el corretaje inmobiliario. Todas las operaciones inmobiliarias son objeto de intermediación y conclusión por parte del corredor público inmobiliario colegiado a cargo de la publicación, cuyos datos se exhiben en la presente. La presente publicación describe las características esenciales del inmueble, debiéndose consultar al corredor público inmobiliario responsable de la operación por la eventual actualización de las medidas, descripciones arquitectónicas y funcionales, valores de expensas, servicios, impuestos, precios y demás información, cuyos valores son aproximados.

Contactar
1/4
Visto

0

USD 21.000

Calle 206

Terreno en Venta en Avellaneda, Departamento de General Obligado

  • 233 m² Total

TERRENO BARRIO MARTIN FIERRO AVDA (CON ESCRITURA)

Corredor responsable: melisa v. Franzoi cci matricula n°0494 - contacto: danisa morzan terreno en venta de 232 m² en barrio martín fierro avellaneda sobre calle 206, - apto crédito terreno en venta • lote de 232 m² (10,40 m de frente x 22,37 m de fondo) ubicado en el barrio martín fierro, avellaneda, santa fe. • Orientación oeste. • Cuenta con escritura. • Servicios disponibles: agua potable, electricidad y calle ripiada. • Excelente ubicación, a pocos minutos del centro de avellaneda. Ver ubicación en: https: maps.App.Goo.Gl/h44qo9ogoh5sb2mt7?G_st=ac rau s.R.L. No ejerce el corretaje inmobiliario. El presente sitio web es una plataforma en donde cada oficina inmobiliaria independiente que contrata los servicios re/max puede publicar las propiedades a su cargo. Cada oficina es de propiedad y gestión independiente, por lo que rau s.R.L. No interviene en los datos de la publicación, en la operación inmobiliaria, ni en la confección y/o firma del boleto de compraventa y/o escritura y/o contrato de alquiler. En cumplimiento de las leyes vigentes que regulan el corretaje inmobiliario, ley nacional 25.028, ley 22.802 de lealtad comercial, ley 24.240 de defensa al consumidor, las normas del código civil y comercial de la nación y constitucionales, los agentes/gestores no ejercen el corretaje inmobiliario. Todas las operaciones inmobiliarias son objeto de intermediación y conclusión por parte del corredor público inmobiliario colegiado a cargo de la publicación, cuyos datos se exhiben en la presente. La presente publicación describe las características esenciales del inmueble, debiéndose consultar al corredor público inmobiliario responsable de la operación por la eventual actualización de las medidas, descripciones arquitectónicas y funcionales, valores de expensas, servicios, impuestos, precios y demás información, cuyos valores son aproximados.

Contactar
1/13
Visto

0

Consultar precio

Ruta Provincial 31

Terreno en Venta en Avellaneda, Departamento de General Obligado

  • 2.390.000 m² Total

Se vende Lote de 2,39 hectáreas sobre RP 31 Avda

Corredor responsable: melisa v. Franzoi cci matricula n°0494 - contacto: pamela petean se vende lote de 2.39 has sobre la rp 31 ideal para actividad comercial por su gran frente sobre dicha ruta. Calle lateral sur con ripio. El lote posee una mensura de división en 3 lotes. Ubicación estratégica, cerca de la ciudad, a metros de la rn 11. Rau s.R.L. No ejerce el corretaje inmobiliario. El presente sitio web es una plataforma en donde cada oficina inmobiliaria independiente que contrata los servicios re/max puede publicar las propiedades a su cargo. Cada oficina es de propiedad y gestión independiente, por lo que rau s.R.L. No interviene en los datos de la publicación, en la operación inmobiliaria, ni en la confección y/o firma del boleto de compraventa y/o escritura y/o contrato de alquiler. En cumplimiento de las leyes vigentes que regulan el corretaje inmobiliario, ley nacional 25.028, ley 22.802 de lealtad comercial, ley 24.240 de defensa al consumidor, las normas del código civil y comercial de la nación y constitucionales, los agentes/gestores no ejercen el corretaje inmobiliario. Todas las operaciones inmobiliarias son objeto de intermediación y conclusión por parte del corredor público inmobiliario colegiado a cargo de la publicación, cuyos datos se exhiben en la presente. La presente publicación describe las características esenciales del inmueble, debiéndose consultar al corredor público inmobiliario responsable de la operación por la eventual actualización de las medidas, descripciones arquitectónicas y funcionales, valores de expensas, servicios, impuestos, precios y demás información, cuyos valores son aproximados.

Contactar
1/100
Visto

0

Consultar precio

Ruta Nacional 11 km 798 700

Casa en Venta en Avellaneda, Departamento de General Obligado

  • 862 m² cubie.
  • 3 dorm.
  • 2 años

Casa de Primera Calidad en Avellaneda, RN 11 km798

Corredor responsable: melisa v. Franzoi cci matricula n°0494 - contacto: gonzalo mansur \"exclusiva propiedad premium en loteo residencial de avellaneda\" esta propiedad, ubicada en un loteo residencial en las afueras de avellaneda, ofrece un estilo de vida único en un entorno de belleza natural y privacidad. Con una extensión de 3 hectáreas, esta propiedad cuenta con una amplia gama de comodidades.   Características destacadas:  casa principal con un amplio ambiente de living, cocina y comedor totalmente equipados. Gimnasio amplio que comparte baño con el área de estar principal. Lavadero. Sala de juegos/cine con baño. Dos habitaciones adicionales con baño compartido. Habitación principal con vestidor y lujoso baño en suite, que incluye jacuzzi con vista al parque. Cochera con capacidad para 4 autos. Quincho con amplio estar, parrillero, horno a lena, cocina completa equipada, baño, entrepiso amplio con baño completo sistema de aire centralizado en la casa y en el quincho, para un confort óptimo en todas las estaciones. Galpón con oficina. Termo tanque solar para una mayor eficiencia energética. Enchufes para 220 y 110 watts en toda la casa, proporcionando flexibilidad en el uso de dispositivos eléctricos. Red de wifi para mantenerse conectado en todo momento. Sistema de alarma y cámaras de seguridad con 30 cámaras para una total tranquilidad y seguridad.  La oportunidad de vivir en esta exclusiva residencia que combina elegancia, comodidad y un entorno natural incomparable. Perímetros laterales sur y oeste con tapial de 3 metros de altura y 500 metros totales. Resto de los laterales cerrados con alambrado. Sistema de riego por bomba, con cable subterráneo. Piscina para disfrutar de momentos de relax y entretenimiento al aire libre. Varias galerías que ofrecen espacios de estar al aire libre. Rau s.R.L. No ejerce el corretaje inmobiliario. El presente sitio web es una plataforma en donde cada oficina inmobiliaria independiente que contrata los servicios re/max puede publicar las propiedades a su cargo. Cada oficina es de propiedad y gestión independiente, por lo que rau s.R.L. No interviene en los datos de la publicación, en la operación inmobiliaria, ni en la confección y/o firma del boleto de compraventa y/o escritura y/o contrato de alquiler. En cumplimiento de las leyes vigentes que regulan el corretaje inmobiliario, ley nacional 25.028, ley 22.802 de lealtad comercial, ley 24.240 de defensa al consumidor, las normas del código civil y comercial de la nación y constitucionales, los agentes/gestores no ejercen el corretaje inmobiliario. Todas las operaciones inmobiliarias son objeto de intermediación y conclusión por parte del corredor público inmobiliario colegiado a cargo de la publicación, cuyos datos se exhiben en la presente. La presente publicación describe las características esenciales del inmueble, debiéndose consultar al corredor público inmobiliario responsable de la operación por la eventual actualización de las medidas, descripciones arquitectónicas y funcionales, valores de expensas, servicios, impuestos, precios y demás información, cuyos valores son aproximados.

Contactar
1/8
Visto

0

USD 54.000

Colonia Avellaneda

Terreno en Venta en Avellaneda, Departamento de General Obligado

  • 2.898 m² Total
  • Excelente

Se VENDE lote en Avellaneda

Corredor responsable: melisa v. Franzoi cci matricula n°0494 - contacto: claudia gianneschi excelente lote se vende lote en el exclusivo barrio la cesira, localidad de avellaneda, santa fe. Unidad 8. Superficie: 3.206,32 metros cuadrados. Ubicado al norte de la ciudad y con un entorno natural lo convierte en el lugar ideal para tener tu vivienda soñada. Rau s.R.L. No ejerce el corretaje inmobiliario. El presente sitio web es una plataforma en donde cada oficina inmobiliaria independiente que contrata los servicios re/max puede publicar las propiedades a su cargo. Cada oficina es de propiedad y gestión independiente, por lo que rau s.R.L. No interviene en los datos de la publicación, en la operación inmobiliaria, ni en la confección y/o firma del boleto de compraventa y/o escritura y/o contrato de alquiler. En cumplimiento de las leyes vigentes que regulan el corretaje inmobiliario, ley nacional 25.028, ley 22.802 de lealtad comercial, ley 24.240 de defensa al consumidor, las normas del código civil y comercial de la nación y constitucionales, los agentes/gestores no ejercen el corretaje inmobiliario. Todas las operaciones inmobiliarias son objeto de intermediación y conclusión por parte del corredor público inmobiliario colegiado a cargo de la publicación, cuyos datos se exhiben en la presente. La presente publicación describe las características esenciales del inmueble, debiéndose consultar al corredor público inmobiliario responsable de la operación por la eventual actualización de las medidas, descripciones arquitectónicas y funcionales, valores de expensas, servicios, impuestos, precios y demás información, cuyos valores son aproximados.

Contactar
1/12
Visto

0

USD 550

Calle 21 100

Local en Alquiler en Avellaneda, Departamento de General Obligado

  • 43 m² Total
  • A Estrenar

Se Alquila Salon Comercial en Avellaneda Santa Fe

Corredor responsable: melisa v. Franzoi cci matricula n°0494 - contacto: melisa franzoi se ofrece en alquiler un excelente salón comercial ubicado sobre la transitada calle 21 n 122 de avellaneda, santa fe. Esta unidad está diseñada para la operatividad inmediata, ideal para profesionales, comercios minoristas o servicios. Salón principal: amplio y versátil espacio que permite diversas configuraciones, desde área de ventas hasta showroom o consultorio. Oficina privada: dispone de una oficina separada, perfecta para la gestión administrativa, reuniones privadas. Baño completo: comodidad y funcionalidad con baño en óptimo estado. Servicios completos: el local cuenta con la totalidad de los servicios esenciales instalados. Contrato de 12 meses , primer semestre u$550, segundo semestre u$700.- Requisitos: 2 garantías con recibo de sueldo. Rau s.R.L. No ejerce el corretaje inmobiliario. El presente sitio web es una plataforma en donde cada oficina inmobiliaria independiente que contrata los servicios re/max puede publicar las propiedades a su cargo. Cada oficina es de propiedad y gestión independiente, por lo que rau s.R.L. No interviene en los datos de la publicación, en la operación inmobiliaria, ni en la confección y/o firma del boleto de compraventa y/o escritura y/o contrato de alquiler. En cumplimiento de las leyes vigentes que regulan el corretaje inmobiliario, ley nacional 25.028, ley 22.802 de lealtad comercial, ley 24.240 de defensa al consumidor, las normas del código civil y comercial de la nación y constitucionales, los agentes/gestores no ejercen el corretaje inmobiliario. Todas las operaciones inmobiliarias son objeto de intermediación y conclusión por parte del corredor público inmobiliario colegiado a cargo de la publicación, cuyos datos se exhiben en la presente. La presente publicación describe las características esenciales del inmueble, debiéndose consultar al corredor público inmobiliario responsable de la operación por la eventual actualización de las medidas, descripciones arquitectónicas y funcionales, valores de expensas, servicios, impuestos, precios y demás información, cuyos valores son aproximados.

Contactar
1/12
Visto

0

USD 31.500

Calle 324 900

Terreno en Venta en Avellaneda, Departamento de General Obligado

  • 391 m² Total
  • Muy Bueno

Lote en VENTA a metros de ruta 11 Avellaneda

Corredor responsable: melisa v. Franzoi cci matricula n°0494 - contacto: nicolas pividori terreno en venta, b° don pedro, avellaneda santa fe. _ Lote nro. 4 (sobre calle 324 esq. Calle 317) _ superficie: 391.23mt2 (12.42x31.50mt) _ servicios: luz, agua potable, calle con mejorado. _ Entorno: a solo 100 metros de ruta nac. 11. - Lotes escriturables. Consultar por financiación. Rau s.R.L. No ejerce el corretaje inmobiliario. El presente sitio web es una plataforma en donde cada oficina inmobiliaria independiente que contrata los servicios re/max puede publicar las propiedades a su cargo. Cada oficina es de propiedad y gestión independiente, por lo que rau s.R.L. No interviene en los datos de la publicación, en la operación inmobiliaria, ni en la confección y/o firma del boleto de compraventa y/o escritura y/o contrato de alquiler. En cumplimiento de las leyes vigentes que regulan el corretaje inmobiliario, ley nacional 25.028, ley 22.802 de lealtad comercial, ley 24.240 de defensa al consumidor, las normas del código civil y comercial de la nación y constitucionales, los agentes/gestores no ejercen el corretaje inmobiliario. Todas las operaciones inmobiliarias son objeto de intermediación y conclusión por parte del corredor público inmobiliario colegiado a cargo de la publicación, cuyos datos se exhiben en la presente. La presente publicación describe las características esenciales del inmueble, debiéndose consultar al corredor público inmobiliario responsable de la operación por la eventual actualización de las medidas, descripciones arquitectónicas y funcionales, valores de expensas, servicios, impuestos, precios y demás información, cuyos valores son aproximados.

Contactar
1/12
Visto

0

USD 31.500

Calle 317 1100

Terreno en Venta en Avellaneda, Departamento de General Obligado

  • 447 m² Total
  • Muy Bueno

Lote en VENTA a metros de Ruta 11 Avellaneda

Corredor responsable: melisa v. Franzoi cci matricula n°0494 - contacto: nicolas pividori terreno en venta, b° don pedro, avellaneda santa fe. _ Lote nro. 5 (sobre calle 317 esq. Calle 324) _ superficie: 447.12mt2 (12x37.26mt) _ servicios: luz, agua potable, calle con mejorado. _ Entorno: a solo 100 metros de ruta nac. 11. - Lotes escriturables. Consultar por financiación. Rau s.R.L. No ejerce el corretaje inmobiliario. El presente sitio web es una plataforma en donde cada oficina inmobiliaria independiente que contrata los servicios re/max puede publicar las propiedades a su cargo. Cada oficina es de propiedad y gestión independiente, por lo que rau s.R.L. No interviene en los datos de la publicación, en la operación inmobiliaria, ni en la confección y/o firma del boleto de compraventa y/o escritura y/o contrato de alquiler. En cumplimiento de las leyes vigentes que regulan el corretaje inmobiliario, ley nacional 25.028, ley 22.802 de lealtad comercial, ley 24.240 de defensa al consumidor, las normas del código civil y comercial de la nación y constitucionales, los agentes/gestores no ejercen el corretaje inmobiliario. Todas las operaciones inmobiliarias son objeto de intermediación y conclusión por parte del corredor público inmobiliario colegiado a cargo de la publicación, cuyos datos se exhiben en la presente. La presente publicación describe las características esenciales del inmueble, debiéndose consultar al corredor público inmobiliario responsable de la operación por la eventual actualización de las medidas, descripciones arquitectónicas y funcionales, valores de expensas, servicios, impuestos, precios y demás información, cuyos valores son aproximados.

Contactar
1/7
Visto

0

USD 13.000

Calle 105

Terreno en Venta en Avellaneda, Departamento de General Obligado

  • 250 m² Total

Terreno en Loteo Berlanda Avellaneda

Corredor responsable: melisa v. Franzoi cci matricula n°0494 - contacto: gonzalo mansur terreno barrio berlanda terreno de 250 m² en loteo berlanda, avellaneda ubicación el terreno se encuentra ubicado en el loteo berlanda, en la ciudad de avellaneda, provincia de santa fe. Una zona residencial en desarrollo, con obras finalizadas. Superficie el terreno tiene unas dimensiones de 10 x 25 metros, lo que resulta en una superficie total de 250 m². Características • proyecto urbanístico consolidado y en desarrollo • calles internas consolidadas • luminaria led instalada • apto para construir servicios • red eléctrica • agua corriente • sistema cloacal • alumbrado público rau s.R.L. No ejerce el corretaje inmobiliario. El presente sitio web es una plataforma en donde cada oficina inmobiliaria independiente que contrata los servicios re/max puede publicar las propiedades a su cargo. Cada oficina es de propiedad y gestión independiente, por lo que rau s.R.L. No interviene en los datos de la publicación, en la operación inmobiliaria, ni en la confección y/o firma del boleto de compraventa y/o escritura y/o contrato de alquiler. En cumplimiento de las leyes vigentes que regulan el corretaje inmobiliario, ley nacional 25.028, ley 22.802 de lealtad comercial, ley 24.240 de defensa al consumidor, las normas del código civil y comercial de la nación y constitucionales, los agentes/gestores no ejercen el corretaje inmobiliario. Todas las operaciones inmobiliarias son objeto de intermediación y conclusión por parte del corredor público inmobiliario colegiado a cargo de la publicación, cuyos datos se exhiben en la presente. La presente publicación describe las características esenciales del inmueble, debiéndose consultar al corredor público inmobiliario responsable de la operación por la eventual actualización de las medidas, descripciones arquitectónicas y funcionales, valores de expensas, servicios, impuestos, precios y demás información, cuyos valores son aproximados.

Contactar
1/6
Visto

0

Consultar precio

Calle 102 400

Terreno en Venta en Avellaneda, Departamento de General Obligado

  • 300 m² Total

Se Vende terreno en Barrio America de Avellaneda

Corredor responsable: melisa v. Franzoi cci matricula n°0494 - contacto: pamela petean terreno en venta en barrio américa de avellaneda, santa fe ubicado en calle 102 n° 474 medidas 10 x 30. Posee excelente ubicación, sobre asfalto, con servicios de agua potable y cloacas. Situado a pocas cuadras de la plaza principal, avenidas importantes, clubes, escuelas etc. Tapialado en todo sus lados. Rau s.R.L. No ejerce el corretaje inmobiliario. El presente sitio web es una plataforma en donde cada oficina inmobiliaria independiente que contrata los servicios re/max puede publicar las propiedades a su cargo. Cada oficina es de propiedad y gestión independiente, por lo que rau s.R.L. No interviene en los datos de la publicación, en la operación inmobiliaria, ni en la confección y/o firma del boleto de compraventa y/o escritura y/o contrato de alquiler. En cumplimiento de las leyes vigentes que regulan el corretaje inmobiliario, ley nacional 25.028, ley 22.802 de lealtad comercial, ley 24.240 de defensa al consumidor, las normas del código civil y comercial de la nación y constitucionales, los agentes/gestores no ejercen el corretaje inmobiliario. Todas las operaciones inmobiliarias son objeto de intermediación y conclusión por parte del corredor público inmobiliario colegiado a cargo de la publicación, cuyos datos se exhiben en la presente. La presente publicación describe las características esenciales del inmueble, debiéndose consultar al corredor público inmobiliario responsable de la operación por la eventual actualización de las medidas, descripciones arquitectónicas y funcionales, valores de expensas, servicios, impuestos, precios y demás información, cuyos valores son aproximados.

Contactar
1/4
Visto

0

Consultar precio

Calle 13 100

Terreno en Venta en Avellaneda, Departamento de General Obligado

  • 200 m² Total
  • Excelente

SE VENDE TERRENO EN LA CIUDAD DE AVELLANEDA

Corredor responsable: melisa v. Franzoi cci matricula n°0494 - contacto: ana almada se vende terreno en avellaneda en barrio itati. Ubicacion: calle 13 y calle 4 de la ciudad de avellaneda superficie: 200 mts.servicio: agua - cloaca rau s.R.L. No ejerce el corretaje inmobiliario. El presente sitio web es una plataforma en donde cada oficina inmobiliaria independiente que contrata los servicios re/max puede publicar las propiedades a su cargo. Cada oficina es de propiedad y gestión independiente, por lo que rau s.R.L. No interviene en los datos de la publicación, en la operación inmobiliaria, ni en la confección y/o firma del boleto de compraventa y/o escritura y/o contrato de alquiler. En cumplimiento de las leyes vigentes que regulan el corretaje inmobiliario, ley nacional 25.028, ley 22.802 de lealtad comercial, ley 24.240 de defensa al consumidor, las normas del código civil y comercial de la nación y constitucionales, los agentes/gestores no ejercen el corretaje inmobiliario. Todas las operaciones inmobiliarias son objeto de intermediación y conclusión por parte del corredor público inmobiliario colegiado a cargo de la publicación, cuyos datos se exhiben en la presente. La presente publicación describe las características esenciales del inmueble, debiéndose consultar al corredor público inmobiliario responsable de la operación por la eventual actualización de las medidas, descripciones arquitectónicas y funcionales, valores de expensas, servicios, impuestos, precios y demás información, cuyos valores son aproximados.

Contactar
1/9
Visto

0

USD 21.000

PIAVE

Terreno en Venta en Avellaneda, Departamento de General Obligado

  • 1.200 m² Total
  • Muy Bueno

Lote en VENTA - Parque de Servicios Avellaneda SFe

Corredor responsable: melisa v. Franzoi cci matricula n°0494 - contacto: nicolas pividori terreno parque de servicios avda terreno ideal para la construcción de galpon de gran magnitud para proyectos industriales!. _ Orientacion: este _ superficie: 1.200m2 (30x40m) _ servicios: luz, agua, calle con mejorado. El inmueble posee un plano inscripto para la construcción de una nave de 600m2 (20x30m). Rau s.R.L. No ejerce el corretaje inmobiliario. El presente sitio web es una plataforma en donde cada oficina inmobiliaria independiente que contrata los servicios re/max puede publicar las propiedades a su cargo. Cada oficina es de propiedad y gestión independiente, por lo que rau s.R.L. No interviene en los datos de la publicación, en la operación inmobiliaria, ni en la confección y/o firma del boleto de compraventa y/o escritura y/o contrato de alquiler. En cumplimiento de las leyes vigentes que regulan el corretaje inmobiliario, ley nacional 25.028, ley 22.802 de lealtad comercial, ley 24.240 de defensa al consumidor, las normas del código civil y comercial de la nación y constitucionales, los agentes/gestores no ejercen el corretaje inmobiliario. Todas las operaciones inmobiliarias son objeto de intermediación y conclusión por parte del corredor público inmobiliario colegiado a cargo de la publicación, cuyos datos se exhiben en la presente. La presente publicación describe las características esenciales del inmueble, debiéndose consultar al corredor público inmobiliario responsable de la operación por la eventual actualización de las medidas, descripciones arquitectónicas y funcionales, valores de expensas, servicios, impuestos, precios y demás información, cuyos valores son aproximados.

Contactar
1/4
Visto

0

USD 19.000

Calle 229

Terreno en Venta en Avellaneda, Departamento de General Obligado

  • 250 m² Total
  • Excelente

SE VENDEN TERRENOS ESCRITURABLES, AVELLANEDA

Corredor responsable: melisa v. Franzoi cci matricula n°0494 - contacto: ivan guidici ubicación - barrio progresar, ciudad de avellaneda - zona en crecimiento, con acceso a servicios y comodidades - ideal para construir tu hogar o invertir con proyección superficie y precios disponibles - lote 24 – manzana 53 ? 263 m² – usd 19.000 - lote 23 – manzana 53 ? 354 m² – usd 23.000 - lote 206 – manzana 74 ? 300 m² – usd 21.000 - lote 207 – manzana 74 ? 400 m² – usd 26.000 características - terrenos escriturables - barrio residencial consolidado - parcelas amplias y bien ubicadas - entorno tranquilo y familiar financiación - entrega inicial del 40% - saldo financiado hasta en 72 cuotas - valores accesibles y ajustados según la superficie de cada lote invertí donde querés vivir. Contactate y coordinamos una visita rau s.R.L. No ejerce el corretaje inmobiliario. El presente sitio web es una plataforma en donde cada oficina inmobiliaria independiente que contrata los servicios re/max puede publicar las propiedades a su cargo. Cada oficina es de propiedad y gestión independiente, por lo que rau s.R.L. No interviene en los datos de la publicación, en la operación inmobiliaria, ni en la confección y/o firma del boleto de compraventa y/o escritura y/o contrato de alquiler. En cumplimiento de las leyes vigentes que regulan el corretaje inmobiliario, ley nacional 25.028, ley 22.802 de lealtad comercial, ley 24.240 de defensa al consumidor, las normas del código civil y comercial de la nación y constitucionales, los agentes/gestores no ejercen el corretaje inmobiliario. Todas las operaciones inmobiliarias son objeto de intermediación y conclusión por parte del corredor público inmobiliario colegiado a cargo de la publicación, cuyos datos se exhiben en la presente. La presente publicación describe las características esenciales del inmueble, debiéndose consultar al corredor público inmobiliario responsable de la operación por la eventual actualización de las medidas, descripciones arquitectónicas y funcionales, valores de expensas, servicios, impuestos, precios y demás información, cuyos valores son aproximados.

Contactar
1/23
Visto

0

USD 140.000

Calle 6 100

Casa en Venta en Avellaneda, Departamento de General Obligado

  • 180 m² cubie.
  • 4 dorm.
  • 6 años

Se vende casa en Barrio Sartor, Avellaneda

Corredor responsable: melisa v. Franzoi cci matricula n°0494 - contacto: danisa morzan se vende casa en barrio sartor, avellaneda ubicada en calle 6 n° 113 posee todos los servicios (cloacas, agua potable, asfalto ) medidas 9 metros de frente al oeste x 23.40 metros de fondo total del terreno 210,60 metros la propiedad posee planta baja : living comedor y cocina integrados escritorio ( puede ser usada de habitación planta baja ) baño y ante baño . Garaje patio pileta pieza de guardado planta alta 3 habitaciones baño la casa tiene ventilación cruzada y luz natural en todos sus ambientes rau s.R.L. No ejerce el corretaje inmobiliario. El presente sitio web es una plataforma en donde cada oficina inmobiliaria independiente que contrata los servicios re/max puede publicar las propiedades a su cargo. Cada oficina es de propiedad y gestión independiente, por lo que rau s.R.L. No interviene en los datos de la publicación, en la operación inmobiliaria, ni en la confección y/o firma del boleto de compraventa y/o escritura y/o contrato de alquiler. En cumplimiento de las leyes vigentes que regulan el corretaje inmobiliario, ley nacional 25.028, ley 22.802 de lealtad comercial, ley 24.240 de defensa al consumidor, las normas del código civil y comercial de la nación y constitucionales, los agentes/gestores no ejercen el corretaje inmobiliario. Todas las operaciones inmobiliarias son objeto de intermediación y conclusión por parte del corredor público inmobiliario colegiado a cargo de la publicación, cuyos datos se exhiben en la presente. La presente publicación describe las características esenciales del inmueble, debiéndose consultar al corredor público inmobiliario responsable de la operación por la eventual actualización de las medidas, descripciones arquitectónicas y funcionales, valores de expensas, servicios, impuestos, precios y demás información, cuyos valores son aproximados.

Contactar
1/5
Visto

0

USD 20.000

Calle 329

Terreno en Venta en Avellaneda, Departamento de General Obligado

  • 250 m² Total
  • Excelente

PREVENTA EXCLUSIVA LOTEO AYRES DE CAMPO

Corredor responsable: melisa v. Franzoi cci matricula n°0494 - contacto: ivan guidici ubicación: extremo norte de la ciudad de avellaneda - esquina de calle 329 y 304 - zona en pleno desarrollo urbano, ideal para vivir o invertir superficies disponibles y precios - 250 m² ? Usd 20.000 - 300 m² ? Usd 24.000 - 350 m² ? Usd 28.00 - 400 m² ? Usd 32.000 - 500 m² ? Usd 40.000 características - urbanización nueva con excelente proyección - manzana con orientación sur - terrenos con dimensiones variadas y buena accesibilidad financiación - entrega del 30% - saldo financiado hasta en 60 meses - descuentos por pago contado – ¡Consultá beneficios vigentes! Invertí donde querés vivir. Contactate y coordinamos una visita. Rau s.R.L. No ejerce el corretaje inmobiliario. El presente sitio web es una plataforma en donde cada oficina inmobiliaria independiente que contrata los servicios re/max puede publicar las propiedades a su cargo. Cada oficina es de propiedad y gestión independiente, por lo que rau s.R.L. No interviene en los datos de la publicación, en la operación inmobiliaria, ni en la confección y/o firma del boleto de compraventa y/o escritura y/o contrato de alquiler. En cumplimiento de las leyes vigentes que regulan el corretaje inmobiliario, ley nacional 25.028, ley 22.802 de lealtad comercial, ley 24.240 de defensa al consumidor, las normas del código civil y comercial de la nación y constitucionales, los agentes/gestores no ejercen el corretaje inmobiliario. Todas las operaciones inmobiliarias son objeto de intermediación y conclusión por parte del corredor público inmobiliario colegiado a cargo de la publicación, cuyos datos se exhiben en la presente. La presente publicación describe las características esenciales del inmueble, debiéndose consultar al corredor público inmobiliario responsable de la operación por la eventual actualización de las medidas, descripciones arquitectónicas y funcionales, valores de expensas, servicios, impuestos, precios y demás información, cuyos valores son aproximados.

Contactar
1/12
Visto

0

$ 250.000

CALLE 16 200

Local en Alquiler en Avellaneda, Departamento de General Obligado

  • 90 m² Total
  • 1 año
  • 1 baño

Consultorio en Alquiler en Avellaneda

Corredor responsable: melisa v. Franzoi cci matricula n°0494 - contacto: virginia masat alquiler – consultorios a estrenar calle 16 n°260, avellaneda descripción: consultorio a estrenar, ideales para profesionales de la salud o estética. 4 consultorios independientes, todos con conexión de agua y desagüe. Planta baja: 1 consultorio + cocina, baño y patio. Planta alta: 3 consultorios. Ubicación céntrica: a 3 cuadras de la plaza y 2 cuadras de supermercado. Disponibilidad: 4 consultorios precio por consultorio: $250.000/mes condiciones: contrato 2 años, actualización trimestral por icl 2 garantes con recibo de sueldo gastos de honorarios, sellado y firma de contrato a cargo del inquilino rau s.R.L. No ejerce el corretaje inmobiliario. El presente sitio web es una plataforma en donde cada oficina inmobiliaria independiente que contrata los servicios re/max puede publicar las propiedades a su cargo. Cada oficina es de propiedad y gestión independiente, por lo que rau s.R.L. No interviene en los datos de la publicación, en la operación inmobiliaria, ni en la confección y/o firma del boleto de compraventa y/o escritura y/o contrato de alquiler. En cumplimiento de las leyes vigentes que regulan el corretaje inmobiliario, ley nacional 25.028, ley 22.802 de lealtad comercial, ley 24.240 de defensa al consumidor, las normas del código civil y comercial de la nación y constitucionales, los agentes/gestores no ejercen el corretaje inmobiliario. Todas las operaciones inmobiliarias son objeto de intermediación y conclusión por parte del corredor público inmobiliario colegiado a cargo de la publicación, cuyos datos se exhiben en la presente. La presente publicación describe las características esenciales del inmueble, debiéndose consultar al corredor público inmobiliario responsable de la operación por la eventual actualización de las medidas, descripciones arquitectónicas y funcionales, valores de expensas, servicios, impuestos, precios y demás información, cuyos valores son aproximados.

Contactar
1/12
Visto

0

USD 15.000

Calle 117

Terreno en Venta en Avellaneda, Departamento de General Obligado

  • 242 m² Total
  • Muy Bueno

Terreno en VENTA - Avellaneda Santa Fe

Corredor responsable: melisa v. Franzoi cci matricula n°0494 - contacto: nicolas pividori terreno en venta en avellaneda pcia. Santa fe - lote n°6 * ubicacion: calle 117 (entre calle 114 y calle 116).- * Medidas: 9.68mts x 25mts (242mts2) orientación norte.- * Caracteristicas: _ red electrica . - _ Red de agua potable.- _ Calle con ripio. Lote apto para escriturar rau s.R.L. No ejerce el corretaje inmobiliario. El presente sitio web es una plataforma en donde cada oficina inmobiliaria independiente que contrata los servicios re/max puede publicar las propiedades a su cargo. Cada oficina es de propiedad y gestión independiente, por lo que rau s.R.L. No interviene en los datos de la publicación, en la operación inmobiliaria, ni en la confección y/o firma del boleto de compraventa y/o escritura y/o contrato de alquiler. En cumplimiento de las leyes vigentes que regulan el corretaje inmobiliario, ley nacional 25.028, ley 22.802 de lealtad comercial, ley 24.240 de defensa al consumidor, las normas del código civil y comercial de la nación y constitucionales, los agentes/gestores no ejercen el corretaje inmobiliario. Todas las operaciones inmobiliarias son objeto de intermediación y conclusión por parte del corredor público inmobiliario colegiado a cargo de la publicación, cuyos datos se exhiben en la presente. La presente publicación describe las características esenciales del inmueble, debiéndose consultar al corredor público inmobiliario responsable de la operación por la eventual actualización de las medidas, descripciones arquitectónicas y funcionales, valores de expensas, servicios, impuestos, precios y demás información, cuyos valores son aproximados.

Contactar
1/3
Visto

0

USD 30.000

Calle 110 100

Terreno en Venta en Avellaneda, Departamento de General Obligado

  • 400 m² Total
  • Excelente

SE VENDE LOTE 63, LISTO PARA CONSTRUIR

Corredor responsable: melisa v. Franzoi cci matricula n°0494 - contacto: ivan guidici ubicación - loteo berlanda - acceso asfaltado por calle 101 - zona residencial en desarrollo, con obras finalizadas superficie - dimensiones: 10 x 40 m - superficie total: 400 m² - lote amplio y listo para construir características - proyecto urbanístico en desarrollo - obras finalizadas - apto para construir - calles internas consolidadas - luminaria led servicios - red eléctrica - agua corriente - cloacas - alumbrado público financiación - entrega al 30% - saldo hasta 60 cuotas invertí donde querés vivir. Contactate y coordinamos una visita. Rau s.R.L. No ejerce el corretaje inmobiliario. El presente sitio web es una plataforma en donde cada oficina inmobiliaria independiente que contrata los servicios re/max puede publicar las propiedades a su cargo. Cada oficina es de propiedad y gestión independiente, por lo que rau s.R.L. No interviene en los datos de la publicación, en la operación inmobiliaria, ni en la confección y/o firma del boleto de compraventa y/o escritura y/o contrato de alquiler. En cumplimiento de las leyes vigentes que regulan el corretaje inmobiliario, ley nacional 25.028, ley 22.802 de lealtad comercial, ley 24.240 de defensa al consumidor, las normas del código civil y comercial de la nación y constitucionales, los agentes/gestores no ejercen el corretaje inmobiliario. Todas las operaciones inmobiliarias son objeto de intermediación y conclusión por parte del corredor público inmobiliario colegiado a cargo de la publicación, cuyos datos se exhiben en la presente. La presente publicación describe las características esenciales del inmueble, debiéndose consultar al corredor público inmobiliario responsable de la operación por la eventual actualización de las medidas, descripciones arquitectónicas y funcionales, valores de expensas, servicios, impuestos, precios y demás información, cuyos valores son aproximados.

Contactar