(1) (1)
  • Adrogue

Venta

Terreno

USD desde 82K

Buscar solo avisos en moneda:

Dorm|Amb

Más filtros Más filtros

Características

Superficie total

Nombre de calle y altura

Tipo de urbanización

Fot

Servicios

Tipo de anunciante

59 Terrenos en Venta en Adrogue

1/2
Visto

1

USD 1.550.000

HIPOLITO YRIGOYEN entre y

Terreno en Venta en Adrogue, Almirante Brown

GAZDA PROPIEDADES
  • 1.234 m² Total

Local - Adrogue

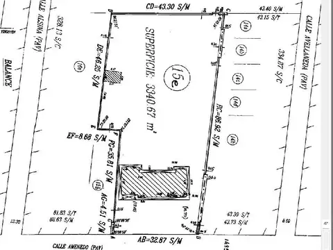
Descripción inmportante inmueble compuesto por 3 lotes lote i y ii: los lotes i y ii se encuentran ubicados sobre la avda. H. Yrigoyen al 13300, sobre los mismos actualmente está en funcionamiento una estación de servicio de marca genérica, con instalaciones para despacho de gnc y nafta, autoservicio de despacho y un local comercial al frente alquilado a una remisería. Principales características de cada uno: lote i: c:1 sec:k mza:537 pa:22 pi:03-083184 medidas:43.30 mts x 12 mts aprox. Superficie: 524 mts. lote ii: c:1 sec:k mza:537 pa:22 pi:03-000920 medidas:43.30 mts x 8.66 mts aprox. Superficie: 375 mts. lote iii: el lote iii esta ubicado sobre la calle general paz 72, el mismo tiene un local comercial de 83 mts.alquilado, explotación actual bar, con potencial para anexar a los lotes i y ii con frente a la avda. H. Yrigoyen. Principales características: lote iii: c:1 sec:k mza:537 pa:23 pi:03-007086 medidas:38.66 mts x 8.66 mts aprox. Superficie: 335 mts. zonificación de los mismos -b2 c4 -fos 0.60 -fot 3 -densidad 1500 habt. Cmcplz mat 3963 / 3964 cucicba mat 8182 / 8184 las fotos no son vinculantes ni contractuales. Las medidas y superficies son aproximadas y no pueden ser consideradas como definitivas ni tienen carácter contractual entre las partes, las mismas surgen del estado parcelario y la documentación correspondientes. Esta información (imágenes, superficies y medidas) se expone y publica a mero efecto orientativo.

Contactar
1/1
Visto

1

USD 1.550.000

HIPOLITO YRIGOYEN entre y

Terreno en Venta en Adrogue, Almirante Brown

GAZDA PROPIEDADES
  • 1.234 m² Total

Terreno - Adrogue

Descripción inmportante inmueble compuesto por 3 lotes lote i y ii: los lotes i y ii se encuentran ubicados sobre la avda. H. Yrigoyen al 13300, sobre los mismos actualmente está en funcionamiento una estación de servicio de marca genérica, con instalaciones para despacho de gnc y nafta, autoservicio de despacho y un local comercial al frente alquilado a una remisería. Principales características de cada uno: lote i: c:1 sec:k mza:537 pa:22 pi:03-083184 medidas:43.30 mts x 12 mts aprox. Superficie: 524 mts. lote ii: c:1 sec:k mza:537 pa:22 pi:03-000920 medidas:43.30 mts x 8.66 mts aprox. Superficie: 375 mts. lote iii: el lote iii esta ubicado sobre la calle general paz 72, el mismo tiene un local comercial de 83 mts.alquilado, explotación actual bar, con potencial para anexar a los lotes i y ii con frente a la avda. H. Yrigoyen. Principales características: lote iii: c:1 sec:k mza:537 pa:23 pi:03-007086 medidas:38.66 mts x 8.66 mts aprox. Superficie: 335 mts. zonificación de los mismos -b2 c4 -fos 0.60 -fot 3 -densidad 1500 habt. Cmcplz mat 3963 / 3964 cucicba mat 8182 / 8184 las fotos no son vinculantes ni contractuales. Las medidas y superficies son aproximadas y no pueden ser consideradas como definitivas ni tienen carácter contractual entre las partes, las mismas surgen del estado parcelario y la documentación correspondientes. Esta información (imágenes, superficies y medidas) se expone y publica a mero efecto orientativo.

Contactar