-
Terreno
-
251 m² Total
-
Excelente
¡Oportunidad única en Catamarca! Terreno en venta
Corredor Responsable: Gerhardt Edgardo Daniel Mat. N° 38 -
Contacto: Nahir Nazareth Pereyra
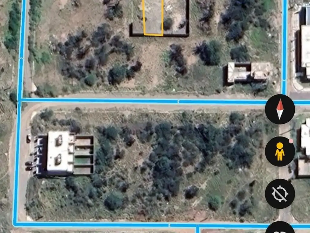
VENTA DE TERRENO EN SAN FERNANDO DEL VALLE DE CATAMARCA - LOTE URBANO 250 M² SOBRE AVENIDA PRINCIPAL
Terreno estratégicamente ubicado en San Fernando del Valle de Catamarca, con una superficie de 250 m² y dimensiones de 10 metros de frente por 25 metros de profundidad. Propiedad a estrenar , en un sector de expansión urbana con alto potencial de valorización.
La parcela ofrece condiciones óptimas para desarrollo inmobiliario, combinando una ubicación privilegiada con vistas panorámicas de las sierras catamarqueñas. Su entorno natural y conexiones directas representan una oportunidad de inversión de primer nivel para emprendimientos inmobiliarios o proyecto de vivienda personal.
Características técnicas principales:
- Superficie total: 250,81 m²
- Frente: 10 metros
- Profundidad: 25 metros
- Ubicación: Calle publica paralela a av. Juan Pablo Vera y Dr. Cesar Enrique Oviedo
- Estado: Lote a estrenar
- Documentación: Completamente regularizada
Zona de expansión urbana con proyección de crecimiento, ideal para inversores que buscan terrenos con potencial de apreciación en el noroeste argentino. La propiedad cuenta con todas las condiciones para desarrollar proyectos inmobiliarios de mediano y largo plazo, aprovechando la privilegiada ubicación geográfica de Catamarca.
Oportunidad de inversión con garantía de plusvalía, en un entorno natural privilegiado que combina tranquilidad y accesibilidad urbana.
RAU S.R.L. no ejerce el corretaje inmobiliario. El presente sitio web es una plataforma en donde cada oficina inmobiliaria independiente que contrata los servicios RE/MAX puede publicar las propiedades a su cargo. Cada oficina es de propiedad y gestión independiente, por lo que RAU S.R.L. no interviene en los datos de la publicación, en la operación inmobiliaria, ni en la confección y/o firma del boleto de compraventa y/o escritura y/o contrato de alquiler. En cumplimiento de las leyes vigentes que regulan el corretaje inmobiliario, Ley Nacional 25.028, Ley 22.802 de Lealtad Comercial, Ley 24.240 de Defensa al Consumidor, las normas del Código Civil y Comercial de la Nación y Constitucionales, los agentes/gestores NO ejercen el corretaje inmobiliario. Todas las operaciones inmobiliarias son objeto de intermediación y conclusión por parte del corredor público inmobiliario colegiado a cargo de la publicación, cuyos datos se exhiben en la presente. La presente publicación describe las características esenciales del inmueble, debiéndose consultar al corredor público inmobiliario responsable de la operación por la eventual actualización de las medidas, descripciones arquitectónicas y funcionales, valores de expensas, servicios, impuestos, precios y demás información, cuyos valores son aproximados.
Contacto: Nahir Nazareth Pereyra
VENTA DE TERRENO EN SAN FERNANDO DEL VALLE DE CATAMARCA - LOTE URBANO 250 M² SOBRE AVENIDA PRINCIPAL
Terreno estratégicamente ubicado en San Fernando del Valle de Catamarca, con una superficie de 250 m² y dimensiones de 10 metros de frente por 25 metros de profundidad. Propiedad a estrenar , en un sector de expansión urbana con alto potencial de valorización.
La parcela ofrece condiciones óptimas para desarrollo inmobiliario, combinando una ubicación privilegiada con vistas panorámicas de las sierras catamarqueñas. Su entorno natural y conexiones directas representan una oportunidad de inversión de primer nivel para emprendimientos inmobiliarios o proyecto de vivienda personal.
Características técnicas principales:
- Superficie total: 250,81 m²
- Frente: 10 metros
- Profundidad: 25 metros
- Ubicación: Calle publica paralela a av. Juan Pablo Vera y Dr. Cesar Enrique Oviedo
- Estado: Lote a estrenar
- Documentación: Completamente regularizada
Zona de expansión urbana con proyección de crecimiento, ideal para inversores que buscan terrenos con potencial de apreciación en el noroeste argentino. La propiedad cuenta con todas las condiciones para desarrollar proyectos inmobiliarios de mediano y largo plazo, aprovechando la privilegiada ubicación geográfica de Catamarca.
Oportunidad de inversión con garantía de plusvalía, en un entorno natural privilegiado que combina tranquilidad y accesibilidad urbana.
RAU S.R.L. no ejerce el corretaje inmobiliario. El presente sitio web es una plataforma en donde cada oficina inmobiliaria independiente que contrata los servicios RE/MAX puede publicar las propiedades a su cargo. Cada oficina es de propiedad y gestión independiente, por lo que RAU S.R.L. no interviene en los datos de la publicación, en la operación inmobiliaria, ni en la confección y/o firma del boleto de compraventa y/o escritura y/o contrato de alquiler. En cumplimiento de las leyes vigentes que regulan el corretaje inmobiliario, Ley Nacional 25.028, Ley 22.802 de Lealtad Comercial, Ley 24.240 de Defensa al Consumidor, las normas del Código Civil y Comercial de la Nación y Constitucionales, los agentes/gestores NO ejercen el corretaje inmobiliario. Todas las operaciones inmobiliarias son objeto de intermediación y conclusión por parte del corredor público inmobiliario colegiado a cargo de la publicación, cuyos datos se exhiben en la presente. La presente publicación describe las características esenciales del inmueble, debiéndose consultar al corredor público inmobiliario responsable de la operación por la eventual actualización de las medidas, descripciones arquitectónicas y funcionales, valores de expensas, servicios, impuestos, precios y demás información, cuyos valores son aproximados.
Ubicación
San Fdo del Valle de Catamarca, Capital, Catamarca
Datos básicos
-
Precio: USD 32.000
Superficie
-
Sup. Total: 251 m2
Código de aviso: AR.42.213.29.10