-
Terreno
-
52.829 m² Total
-
Bueno
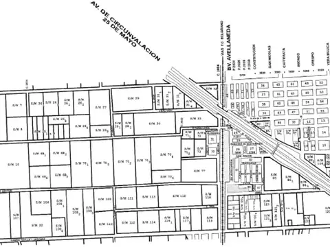
Terreno en Av. Circunvalacion
Se presenta a la venta una fracción de terreno con una superficie total de 52829.44 m², ubicada en la intersección de Av. Circunvalación y Camino Cecilia Grierson. Este terreno, de forma irregular, brinda una oportunidad excepcional para el desarrollo de proyectos.
Tiene un valor de U$D 30 x m²
Todas las fotos publicadas son propiedad intelectual de Furigo Negocios Inmobiliarios. No es permitida su utilización comercial.
FURIGO Negocios Inmobiliarios para vidas en movimiento!
Pablo C. Furigo
Mat. 0334 COCIR
Tiene un valor de U$D 30 x m²
Todas las fotos publicadas son propiedad intelectual de Furigo Negocios Inmobiliarios. No es permitida su utilización comercial.
FURIGO Negocios Inmobiliarios para vidas en movimiento!
Pablo C. Furigo
Mat. 0334 COCIR
Ubicación
Rosario, Departamento de Rosario, Santa Fe
Datos básicos
-
Precio: USD 30
Superficie
-
Sup. Total: 52.829 m2
Código de aviso: FUG-FUG-124