-
Terreno
Terreno
-
2.026 m² Total
2.026 m² Total
-
Excelente
Excelente
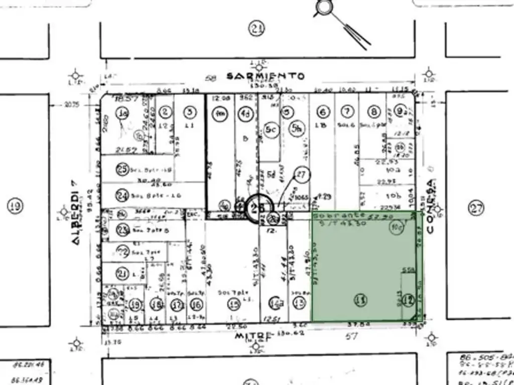
LOTE EN VENTA EN ESQUINA 2.026 M2 QUILMES CENTRO
Corredor Responsable: Martin Veltri CMQ 805 / EDUARDO A. GARBUGLIA CUCICBA 196 -
Contacto: Daniel Leguizamon
LOTE EN VENTA EN ESQUINA EN QUILMES CENTRO
*IDEAL DESARROLLADORES
* 2.026M2 PROPIOS
* FRENTE MITRE 43.3 ML Y 47 ML SOBRE CONESA
* A 1 CUADRA DE ZONA RESIDENCIAL EXCLUSIVA Y A 3 DE ZONA COMERCIAL
* APTO CONSTRUCCION EN ALTURA
* PREFACTIFIBIDAD APROBADA PARA TORRE DE 7000M2 O DOS DE 3500M2
RAU S.R.L. no ejerce el corretaje inmobiliario. El presente sitio web es una plataforma en donde cada oficina inmobiliaria independiente que contrata los servicios RE/MAX puede publicar las propiedades a su cargo. Cada oficina es de propiedad y gestión independiente, por lo que RAU S.R.L. no interviene en los datos de la publicación, en la operación inmobiliaria, ni en la confección y/o firma del boleto de compraventa y/o escritura y/o contrato de alquiler. En cumplimiento de las leyes vigentes que regulan el corretaje inmobiliario, Ley Nacional 25.028, Ley 22.802 de Lealtad Comercial, Ley 24.240 de Defensa al Consumidor, las normas del Código Civil y Comercial de la Nación y Constitucionales, los agentes/gestores NO ejercen el corretaje inmobiliario. Todas las operaciones inmobiliarias son objeto de intermediación y conclusión por parte del corredor público inmobiliario colegiado a cargo de la publicación, cuyos datos se exhiben en la presente. La presente publicación describe las características esenciales del inmueble, debiéndose consultar al corredor público inmobiliario responsable de la operación por la eventual actualización de las medidas, descripciones arquitectónicas y funcionales, valores de expensas, servicios, impuestos, precios y demás información, cuyos valores son aproximados.
Comprá la casa que querés! No la que podés. Accedé a un préstamo por hasta el 30% del valor de esta propiedad. Simulá tu cuota en Lendar
Contacto: Daniel Leguizamon
LOTE EN VENTA EN ESQUINA EN QUILMES CENTRO
*IDEAL DESARROLLADORES
* 2.026M2 PROPIOS
* FRENTE MITRE 43.3 ML Y 47 ML SOBRE CONESA
* A 1 CUADRA DE ZONA RESIDENCIAL EXCLUSIVA Y A 3 DE ZONA COMERCIAL
* APTO CONSTRUCCION EN ALTURA
* PREFACTIFIBIDAD APROBADA PARA TORRE DE 7000M2 O DOS DE 3500M2
RAU S.R.L. no ejerce el corretaje inmobiliario. El presente sitio web es una plataforma en donde cada oficina inmobiliaria independiente que contrata los servicios RE/MAX puede publicar las propiedades a su cargo. Cada oficina es de propiedad y gestión independiente, por lo que RAU S.R.L. no interviene en los datos de la publicación, en la operación inmobiliaria, ni en la confección y/o firma del boleto de compraventa y/o escritura y/o contrato de alquiler. En cumplimiento de las leyes vigentes que regulan el corretaje inmobiliario, Ley Nacional 25.028, Ley 22.802 de Lealtad Comercial, Ley 24.240 de Defensa al Consumidor, las normas del Código Civil y Comercial de la Nación y Constitucionales, los agentes/gestores NO ejercen el corretaje inmobiliario. Todas las operaciones inmobiliarias son objeto de intermediación y conclusión por parte del corredor público inmobiliario colegiado a cargo de la publicación, cuyos datos se exhiben en la presente. La presente publicación describe las características esenciales del inmueble, debiéndose consultar al corredor público inmobiliario responsable de la operación por la eventual actualización de las medidas, descripciones arquitectónicas y funcionales, valores de expensas, servicios, impuestos, precios y demás información, cuyos valores son aproximados.
Comprá la casa que querés! No la que podés. Accedé a un préstamo por hasta el 30% del valor de esta propiedad. Simulá tu cuota en Lendar
Ubicación
Quilmes, G.B.A. Zona Sur
Datos básicos
-
Precio: USD 2.700.000
Superficie
-
Sup. Total: 2.026 m2
Código de aviso: AR.42.39.159.10.V8