-
Terreno
Terreno
-
200 m² Total
200 m² Total
Terreno en Olivos
Excelente lote Apto Multifamiliar sobre calle comercial. - Construccion de 4 departamentos de 2 dormitorios con 4 cocheras.-
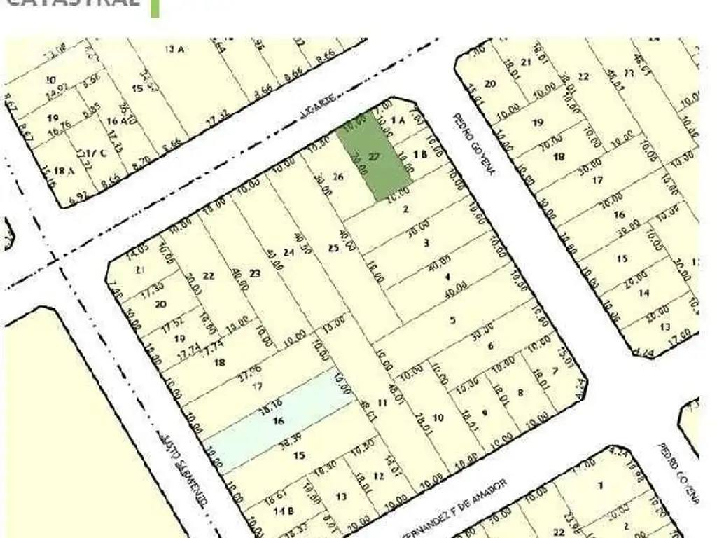
Medidas: 10 x 20 mts. -
Zonificación: C1a
FOS: 0,6
FOT: 1,5 premio 0,5 Total FOT 2
La propiedad publicada está sujeta a la tramitación del Código de oferta de transferencia de inmuebles (COTI) según la Resolución de AFIP 2371, así como a cualquier otro trámite requerido por ley. Toda la información y medidas son aproximadas y están sujetas a verificación con la documentación correspondiente. Sujeto a disponibilidad.
Ezequiel Solimano Dal Pos:
Matricula CABA N 9011
Matricula CMCPSI 6289
.
Medidas: 10 x 20 mts. -
Zonificación: C1a
FOS: 0,6
FOT: 1,5 premio 0,5 Total FOT 2
La propiedad publicada está sujeta a la tramitación del Código de oferta de transferencia de inmuebles (COTI) según la Resolución de AFIP 2371, así como a cualquier otro trámite requerido por ley. Toda la información y medidas son aproximadas y están sujetas a verificación con la documentación correspondiente. Sujeto a disponibilidad.
Ezequiel Solimano Dal Pos:
Matricula CABA N 9011
Matricula CMCPSI 6289
.
Ubicación
Olivos, Vicente Lopez, G.B.A. Zona Norte
Datos básicos
-
Precio: USD 295.000
Superficie
-
Sup. Total: 200 m2
Código de aviso: 41614