-
Terreno
Terreno
-
1.080 m² Total
1.080 m² Total
-
Excelente
Excelente
TERRENO EN VENTA DE 1080 M2 EN BARRIO LOURDES
Corredor Responsable: Joaquín Suárez CI MAT N 0977 -
Contacto: Pablo Gentilcore
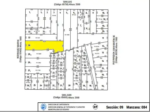
Este terreno de 1080 m2 con un frente de 16,6 metros se encuentra ubicado sobre la calle Mendoza, entre Rodríguez y Callao, en el corazón del barrio Lourdes de Rosario. Se trata de una zona de permanente crecimiento y una de las más solicitadas de la ciudad.
Según la ordenanza 8244/08 y 8541/10, la altura máxima permitida en este predio es de 30,5 metros, lo que posibilita la construcción de un edificio de planta baja más 10 pisos. Actualmente, el terreno cuenta con un galpón parabólico y un local comercial emplazados.
El inmueble cuenta con todos los servicios básicos instalados, incluyendo electricidad, gas, desagüe cloacal y agua corriente. Se encuentra en excelente estado general, ofreciendo una oportunidad única para constructoras o inversores interesados en desarrollar un proyecto en una de las zonas más dinámicas y solicitadas de Rosario.
RAU S.R.L. no ejerce el corretaje inmobiliario. El presente sitio web es una plataforma en donde cada oficina inmobiliaria independiente que contrata los servicios RE/MAX puede publicar las propiedades a su cargo. Cada oficina es de propiedad y gestión independiente, por lo que RAU S.R.L. no interviene en los datos de la publicación, en la operación inmobiliaria, ni en la confección y/o firma del boleto de compraventa y/o escritura y/o contrato de alquiler. En cumplimiento de las leyes vigentes que regulan el corretaje inmobiliario, Ley Nacional 25.028, Ley 22.802 de Lealtad Comercial, Ley 24.240 de Defensa al Consumidor, las normas del Código Civil y Comercial de la Nación y Constitucionales, los agentes/gestores NO ejercen el corretaje inmobiliario. Todas las operaciones inmobiliarias son objeto de intermediación y conclusión por parte del corredor público inmobiliario colegiado a cargo de la publicación, cuyos datos se exhiben en la presente. La presente publicación describe las características esenciales del inmueble, debiéndose consultar al corredor público inmobiliario responsable de la operación por la eventual actualización de las medidas, descripciones arquitectónicas y funcionales, valores de expensas, servicios, impuestos, precios y demás información, cuyos valores son aproximados.
Contacto: Pablo Gentilcore
Este terreno de 1080 m2 con un frente de 16,6 metros se encuentra ubicado sobre la calle Mendoza, entre Rodríguez y Callao, en el corazón del barrio Lourdes de Rosario. Se trata de una zona de permanente crecimiento y una de las más solicitadas de la ciudad.
Según la ordenanza 8244/08 y 8541/10, la altura máxima permitida en este predio es de 30,5 metros, lo que posibilita la construcción de un edificio de planta baja más 10 pisos. Actualmente, el terreno cuenta con un galpón parabólico y un local comercial emplazados.
El inmueble cuenta con todos los servicios básicos instalados, incluyendo electricidad, gas, desagüe cloacal y agua corriente. Se encuentra en excelente estado general, ofreciendo una oportunidad única para constructoras o inversores interesados en desarrollar un proyecto en una de las zonas más dinámicas y solicitadas de Rosario.
RAU S.R.L. no ejerce el corretaje inmobiliario. El presente sitio web es una plataforma en donde cada oficina inmobiliaria independiente que contrata los servicios RE/MAX puede publicar las propiedades a su cargo. Cada oficina es de propiedad y gestión independiente, por lo que RAU S.R.L. no interviene en los datos de la publicación, en la operación inmobiliaria, ni en la confección y/o firma del boleto de compraventa y/o escritura y/o contrato de alquiler. En cumplimiento de las leyes vigentes que regulan el corretaje inmobiliario, Ley Nacional 25.028, Ley 22.802 de Lealtad Comercial, Ley 24.240 de Defensa al Consumidor, las normas del Código Civil y Comercial de la Nación y Constitucionales, los agentes/gestores NO ejercen el corretaje inmobiliario. Todas las operaciones inmobiliarias son objeto de intermediación y conclusión por parte del corredor público inmobiliario colegiado a cargo de la publicación, cuyos datos se exhiben en la presente. La presente publicación describe las características esenciales del inmueble, debiéndose consultar al corredor público inmobiliario responsable de la operación por la eventual actualización de las medidas, descripciones arquitectónicas y funcionales, valores de expensas, servicios, impuestos, precios y demás información, cuyos valores son aproximados.
Ubicación
Nuestra Señora De Lourdes, Rosario, Departamento de Rosario, Santa Fe
Datos básicos
-
Precio: USD 900.000
Superficie
-
Sup. Total: 1.080 m2
Servicios del Terreno
- Electricidad
- Gas natural
Código de aviso: AR.42.95.94.42.V10