-
Terreno
-
129 m² Total
-
Bueno
Terreno - Venta - Argentina, San Isidro - CATAMARCA 3200
Lote en Martínez, San Isidro
LOTE en PH al frente en venta - Martínez
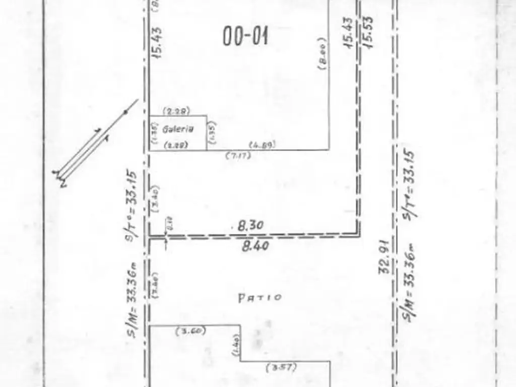
Excelente oportunidad en Martínez. Lote ubicado en PH al frente de 8,40 m x 15,43 m (129 m²) ideal para construir tu vivienda o desarrollar un proyecto propio.
Características destacadas:
? Ubicación en barrio residencial tranquilo
? Entorno arbolado y de excelente calidad de vida
? Cercanía a comercios, colegios y transporte
? Fácil acceso a principales avenidas
Medidas del lote: 8,40 m de frente x 15,43 m de fondo
Superficie total: 129 m² aprox
Contáctanos para más información o coordinar una visita
CSI 5682
LOTE en PH al frente en venta - Martínez
Excelente oportunidad en Martínez. Lote ubicado en PH al frente de 8,40 m x 15,43 m (129 m²) ideal para construir tu vivienda o desarrollar un proyecto propio.
Características destacadas:
? Ubicación en barrio residencial tranquilo
? Entorno arbolado y de excelente calidad de vida
? Cercanía a comercios, colegios y transporte
? Fácil acceso a principales avenidas
Medidas del lote: 8,40 m de frente x 15,43 m de fondo
Superficie total: 129 m² aprox
Contáctanos para más información o coordinar una visita
CSI 5682
Datos básicos
-
Precio: USD 110.000
Superficie
-
Sup. Total: 129 m2
Código de aviso: GOO-GOO-141