Autovia 6 Frente Dálmine 1 has

USD 150.000

Venta en Campana, Buenos Aires

USD 150.000

  • Terreno

    Terreno

  • 10.000 m² Total

    10.000 m² Total

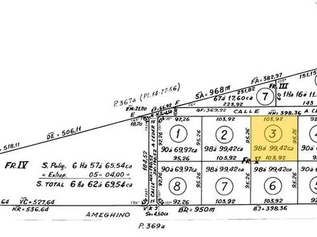
Fracción en Venta 1 Has en Zona Industrial Campana zona Autovia 6

Excelente fracción ubicada a pocos metros de Ruta 6 (nueva autovía La Plata-Campana) y de la ruta Panamericana. Fracción industrial con enorme potencial, particularmente para emprendimientos industriales (centro logístico, parque industrial, etc.). Tiene acceso a todos los servicios (fuerza motriz, gas natural, desagues).
La zonificación es "Industrial I-1"" (Industrial Exclusiva). Se permite la instalación de establecimientos de categorías 1, 2 y 3 según la ley provincial.
Superficie: 1 ha.
Los datos catastrales de la fracción son los siguientes: Partido: 14 (Campana). Circunscripción: 4. Sección: C. Fracción: 5. Parcela: 3.

Corredor responsable Bruno Catardi, CMZC Leg. Col. N 528.

Ubicación

Campana, G.B.A. Zona Norte

Características

  • Zonificación: I1

  • Precio: USD 150.000

  • Sup. Total: 10.000 m2

Código de aviso: PRO-479132

Contactá al anunciante

Cadema Bienes Raíces