AJR BROKERS

AJR BROKERS

  • Solicitar tasación
  • Ubicación: Parque Chas, Capital Federal

  • Horarios de atención: Lunes a Domingo 24 hs

  • Inmuebles publicados: 21

Contactá al anunciante

(1)

Operación

Propiedad

Precio

Buscar solo avisos en moneda:

Dorm|Amb

Dormitorios

  • 1
  • 2
  • 3
  • 4
  • 5+

Ambientes

  • Mono.
  • 2
  • 3
  • 4
  • 5+

Más filtros Más filtros

Dormitorios

  • 1
  • 2
  • 3
  • 4
  • 5+

Ambientes

  • Mono.
  • 2
  • 3
  • 4
  • 5+

Características

Superficie cubierta

Cocheras

Baños

Nombre de calle y altura

Tipo de urbanización

Servicios

Tipos de ambientes

Tipo de anunciante

21 Propiedades e Inmuebles de AJR BROKERS

1/31
Visto

350

USD 155.000 + $235.000 expensas

MARIO BRAVO 700, Piso 7

Departamento en Venta en Almagro, Capital Federal

AJR BROKERS
  • 62 m² cubie.
  • 2 dorm.
  • 40 años

Departamento 3 Ambientes con Balcón Corrido y Vista Abierta – Piso Alto, Muy Luminoso - Almagro

Departamento 3 ambientes con balcón corrido y vista abierta – piso alto, muy luminoso - frente - en el corazón de almagro. Excelente departamento de 3 ambientes ubicado en el séptimo piso alto de la calle mario bravo 780, entre lavalle y guardia vieja, en pleno almagro, a solo una cuadra de av. Córdoba, con rápido acceso a medios de transporte, comercios, universidades y todos los servicios. Inmejorable ubicacion. La unidad cuenta con una superficie total de 73,73 m², de los cuales 65,20 m² son cubiertos, con disposición frente, lo que garantiza tranquilidad, luz natural y una vista abierta en todos sus ambientes. Amplio living comedor con salida a un gran balcón corrido, ideal para disfrutar del aire libre y la excelente orientación. Cocina independiente con lavadero incorporado y entrada de servicio. Posee dos dormitorios (uno con salida al balcón), baño completo y toilette de recepción. Los pisos de parquet originales se encuentran en muy buen estado. Departamento con excelente distribución, ventilación cruzada, y gran luminosidad durante todo el día. Ideal para vivienda familiar o inversión. Ubicación privilegiada: zona residencial y tranquila, con cercanía a medios de transporte, locales gastronómicos, y centros educativos.

Contactar
1/25
Visto

190

USD 155.000

Avenida Congreso 5400, Piso PB

PH en Venta en Villa Urquiza, Capital Federal

AJR BROKERS
  • 62,27 m² cubie.
  • 2 dorm.
  • 20 años

Hermoso PH 3 Ambientes en Villa Urquiza - Entrada Independiente - 68,93 m² Apto Credito - NO PAGA EXPENSAS- Villa Urquiza

Ph 3 amb en venta – en planta baja con entrada independiente y patio – villa urquiza.- Muy luminoso– apto credito - no paga expensas ¡Oportunidad única! Descubrí este hermoso ph al frente, en planta baja, con excelente luz natural, ventilación cruzada y una distribución súper funcional. Ubicado en el corazón de villa urquiza, a metros de av. Congreso y av. Triunvirato. Características destacadas -no paga expensas 68,93 m² totales (62,27 m² cubiertos + 6,66 m² descubiertos) ph al frente, planta baja – acceso cómodo y práctico patio propio ideal para disfrutar todo el año living comedor amplio integrado a cocina (7,20 x 3,18 m) 2 dormitorios grandes, ambos con placard dormitorio principal al frente (4,00 x 2,84 m) segundo dormitorio con salida al patio (4,98 x 2,67 m) baño completo + toilette (dos baños) pisos cerámicos en excelente estado termotanque – agua caliente individual ventilación cruzada en toda la unidad ubicación estratégica – villa urquiza a 2 cuadras de av. Triunvirato a 5 minutos del subte b – estación j. M. De rosas zona con alta conectividad y múltiples líneas de colectivo rodeado de comercios, supermercados, bancos, colegios y servicios barrio en pleno desarrollo, con alta demanda residencial ideal para: primera vivienda parejas o familias inversores que buscan unidades con gran salida y excelente renta

Contactar
1/23
Visto

175

Consultar precio

Estomba 2600

Departamento en Venta en Coghlan, Capital Federal

AJR BROKERS
  • 59,78 m² cubie.
  • 2 dorm.
  • 15 años

Imperdible Oportunidad - Hermoso Dpto 3 Amb en el corazon de Coghlan. Frente. C/ Balcon.-64 m2

¡Imperdible oportunidad en el corazón de coghlan! Hermoso departamento de 3 ambientes con excelente ubicación y distribución ubicado a metros de la estación coghlan, este cómodo y luminoso departamento de 3 ambientes se encuentra en un 2º piso por escalera, al frente, con un total de 64 m². - Amplio balcón corrido con vista abierta. - Living-comedor con salida al balcón. - Cocina independiente con lavadero y vista directa a la estación coghlan. - Termotanque nuevo. - Dos dormitorios cómodos con placares empotrados y salida al balcón corrido. - Baño completo en excelente estado. - Ventiladores de techo en todos los ambientes. - Muy luminoso en todos sus ambientes. - Expensas bajas. - Terraza de uso común en el edificio. Ubicación privilegiada: • a metros de la estación coghlan (ff.Cc mitre) • a 3 cuadras de la estación drago y del cbc uba sede drago • múltiples líneas de colectivos en las inmediaciones: 19, 41, 71, 76, 93, 107, 114, 133, 169 ideal tanto para vivienda como para inversión. ¡Consultanos para coordinar tu visita! La información descripta en el presente aviso es meramente orientativa y no forma parte de ningún tipo de documentación contractual. Los datos enunciados fueron proporcionados por los propietarios y pueden arrojar inexactitudes, las superficies definitivas surgirán del título de propiedad del inmueble referido. Se deja constancia de que los valores y/o expensas pueden estar sujetas a verificación o ajuste.

Contactar
1/31
Visto

51

Consultar precio

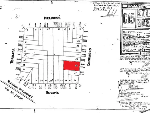
Condarco 3000

Casa en Venta en Villa del Parque, Capital Federal

AJR BROKERS
  • 368 m² cubie.
  • 5 dorm.
  • 84 años

Casa en Venta Estilo Normanda. A refaccionar. Lote de 17.32 x 31.93. Sup Total 553 M2. c/ Jardin

Oportunidad única en villa del parque: casa de estilo normando con lote doble frente se vende encantadora casa de estilo normando ubicada en el pintoresco barrio de villa del parque, capital federal. Esta propiedad presenta un lote excepcional de doble frente con dimensiones de 17.32 metros de frente por 31.93 metros de fondo, alcanzando una superficie total de 553 m². Características de la propiedad: tipo de unidad: casa operación: venta apto crédito: sí antigüedad: 84 años distribución: 5 baños, 3 dormitorios, 1 toilette dimensiones del lote: frente 17.3 m, fondo 31.92 m estado: a refaccionar techo: teja ambientes: cochera, dormitorio, galería, jardín al frente, suite instalaciones: agua corriente, electricidad, gas natural servicios: abl, agua corriente, electricidad, gas natural, teléfono, limpieza ubicación estratégica: la propiedad goza de una excelente ubicación en esquina, en la intersección de las calles nogoya y melincue, en un barrio residencial muy atractivo. Se encuentra a pocas cuadras de las importantes avenidas san martín y nazca, y con cercanía a la estación de tren villa del parque, lo que garantiza una gran accesibilidad a transporte público, colegios, parques y una variada oferta de cafés. Potencial de desarrollo: esta propiedad ofrece una interesante oportunidad de inversión y desarrollo, con la posibilidad de construir cocheras o un local comercial. Información adicional para desarrolladores: afectada por aph perfil edificable: zonificación usab 1 (pb + 5 pisos) medidas del lote: 17.32 m x 31.93 m superficie del lote: 553 m² lfi (línea de frente interno): no afecta laterales: derecho 32.50 m, izquierdo 30.74 m tenemos otros lotes no publicados.-

Contactar
1/28
Visto

25

Consultar precio

General Juan Lavalle 3700

Departamento en Venta en Villa Martelli, Vicente Lopez

AJR BROKERS
  • 4 dorm.
  • 40 años
  • 2 baños

PH 5 Ambientes con Cochera + Depto Independiente y Terraza Propia

¡Oportunidad! Ph 5 ambientes con patio, gran terraza y cochera ph en planta alta con cochera propia en planta baja en la planta baja cuenta con un garage exclusivo para estacionamiento. El acceso es por escalera al primer piso, donde se distribuyen: amplio living-comedor con excelente luminosidad. Cocina y comedor diario funcionales. Dos dormitorios grandes y muy luminosos, con espacio de guardado. Baño completo en excelente estado. Desde el interior se accede a un patio-terraza privado, que conecta con un departamento independiente de 2 ambientes, con lavadero y baño completo, y posibilidad de instalar una cocina. Este departamento cuenta con acceso privado y total independencia de la unidad principal, ideal para generar renta o espacio adicional. Una escalera desde el patio conduce a una gran terraza propia, del tamaño total de la propiedad, con múltiples posibilidades de uso: quincho, jardín en altura o ampliaciones. Muy buen estado de conservacion de la propiedad, excelente ubicacion. Sin expensas este departamento en villa martelli está estratégicamente ubicado en una zona residencial tranquila y cercana a grandes ejes viales como avenida general paz y panamericana (acceso norte), lo que facilita la conexión rápida tanto con capital federal como con el norte del gran buenos aires. Paradas de colectivo cercanas a menos de 3–5 minutos a pie: • laprida y colombia • laprida y estados unidos con servicio de las líneas 110, 161, 67, 93 y 41 estación de tren próxima: • línea belgrano norte / mitre, estación florida, a unos 9–10 minutos caminando • este enclave ofrece: • conectividad fluida por múltiples líneas de colectivo y acceso ferroviario. • Ideal para personas que se trasladan diariamente a distintas zonas de capital o vicente lópez. • Equidistante a barrios como munro y villa adelina, combinando la tranquilidad de villa martelli con cercanía a centros urbanos.

Contactar
1/11
Visto

9

Consultar precio

Hortiguera 1800

Galpón en Alquiler en Parque Chacabuco, Capital Federal

AJR BROKERS
  • 494 m² cubie.
  • 8,66 mts Frente
  • 51,39 mts Fondo

ALQUILER.- GRAN DEPOSITO CON VIVIENDA- IDEAL PARA TALLER - 494 M2 CUBIERTOS

Gran galpón - deposito - taller en alquiler – parque chacabuco mixtura de usos 2 – usab 2 excelente propiedad ideal para múltiples destinos: depósito, taller, pequeño centro de producción o actividades mixtas. Ubicada en el barrio de parque chacabuco, con rápido acceso a principales arterias de la ciudad. Grandes habitaciones, amplia cocina, lavadero y baño completo. Terreno: 8,66 x 51,39 m superficie cubierta total: 494 m² características generales: portón rebatible con puerta de ingreso independiente acceso vehicular hasta el fondo del depósito estructura sólida, con excelente altura y sin columnas en sector de depósito planta baja: estar comedor 2 dormitorios 2 baños cocina completa lavadero oficina amplio depósito libre de columnas (8,36 x 16,85 m) primer piso: planta libre de 8,36 x 19,90 m, ideal para taller, depósito o espacio multifunción baño completo acceso a terraza/azotea transitable mediante escalera zonificación flexible para actividades productivas y de servicios. Excelente estado general, listo para ocupar. Estructura sólida, con excelente altura interior posibilidad de adecuar instalación eléctrica según requerimientos ubicación estratégica para distribución urbana apto múltiples rubros: logística, talleres, depósitos, manufactura liviana, servicios técnicos, imprentas, empresas de mantenimiento, etc. Consultanos para más información o agendar una visita. Oportunidad única en una ubicación estratégica.

Contactar
1/29
Visto

6

Consultar precio

General lavalle 3700

PH en Venta en Villa Martelli, Vicente Lopez

AJR BROKERS
  • 170 m² cubie.
  • 4 dorm.
  • 40 años

OPORTUNIDAD. HERMOSO PH 5 Ambientes con Cochera + Depto Independiente y Terraza Propia

¡Oportunidad! Ph 5 ambientes con patio, gran terraza y cochera ph en planta alta con cochera propia en planta baja en la planta baja cuenta con un garage exclusivo para estacionamiento. El acceso es por escalera al primer piso, donde se distribuyen: amplio living-comedor con excelente luminosidad. Cocina y comedor diario funcionales. Dos dormitorios grandes y muy luminosos, con espacio de guardado. Baño completo en excelente estado. Desde el interior se accede a un patio-terraza privado, que conecta con un departamento independiente de 2 ambientes, con lavadero y baño completo, y posibilidad de instalar una cocina. Este departamento cuenta con acceso privado y total independencia de la unidad principal, ideal para generar renta o espacio adicional. Una escalera desde el patio conduce a una gran terraza propia, del tamaño total de la propiedad, con múltiples posibilidades de uso: quincho, jardín en altura o ampliaciones. Muy buen estado de conservacion de la propiedad, excelente ubicacion. Sin expensas este departamento en villa martelli está estratégicamente ubicado en una zona residencial tranquila y cercana a grandes ejes viales como avenida general paz y panamericana (acceso norte), lo que facilita la conexión rápida tanto con capital federal como con el norte del gran buenos aires. Paradas de colectivo cercanas a menos de 3–5 minutos a pie: • laprida y colombia • laprida y estados unidos con servicio de las líneas 110, 161, 67, 93 y 41 estación de tren próxima: • línea belgrano norte / mitre, estación florida, a unos 9–10 minutos caminando • este enclave ofrece: • conectividad fluida por múltiples líneas de colectivo y acceso ferroviario. • Ideal para personas que se trasladan diariamente a distintas zonas de capital o vicente lópez. • Equidistante a barrios como munro y villa adelina, combinando la tranquilidad de villa martelli con cercanía a centros urbanos.

Contactar