Carapachay Muelle HO 700

USD 45.000

Venta en Arroyo Carapachay, Delta del Tigre

USD 45.000

  • Casa

    Casa

  • 30 m² Cubierta

    30 m² cubie.

  • 1 dormitorio

    1 dorm.

  • A Estrenar

    A Estrenar

  • 1 baño

    1 baño

  • 2 ambientes

    2 ambientes

  • Bueno

    Bueno

  • 1.600 m² Terreno

    1.600 m² terren.

Casa en Venta en Carapachay, Zona Delta, Tigre

Rio Carapachay KM 7
Características: Excelente lote con mejoras y una casa sencilla.
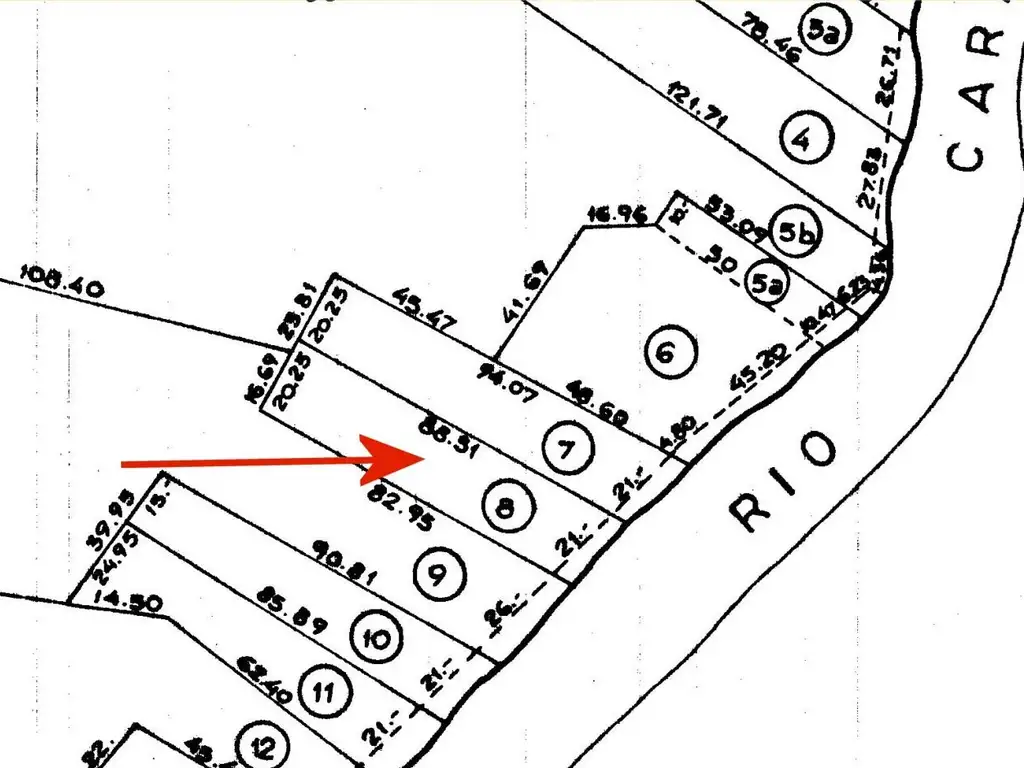
Medidas del lote: 21 metros de frente por irregular. (Ver planos catastro).
Superficie Total: 1.600 metros cuadrados.
Destino: Vivienda de fin de semana o vivienda permanente.
Servicios: Hay servicio de luz.
Transporte: Hay servicio de lancha de pasajeros y almacenera. Se accede con embarcación propia familiar desde Tigre, 15 minutos.
Zonificación: Zona Delta Residencial Expansión. Usos vivienda unifamiliar y productivo. Verificar usos en la Municipalidad de Tigre.
Otras consideraciones:
Muy lindo lote parquizado.
Casa tipo isleña de los años 50.
Toda de material y en alto.
1 dormitorio, estar comedor y baño.
Galería.
Excelente lugar, cerca de tigre y con muchos servicios.
Muy buen entorno.
Entorno muy seguro con gente de vivienda permanente.. - Mat.

Ubicación

Arroyo Carapachay, Delta del Tigre, Tigre, G.B.A. Zona Norte

Características

  • Cant. Baños: 1

  • Cant. Ambientes: 2

  • Cant. Dormitorios: 1

  • Long. Frente: 21 m

  • Long. Fondo: 80 m

  • Estado: Bueno

  • Tipo de operación: Venta

  • Precio: USD 45.000

  • Sup. Cubierta: 30 m2

  • Sup. Terreno: 1.600 m2

  • Sup. Total: 30 m2

Código de aviso: SMK1220_LP743562_1

Contactá al anunciante

SAMEK PROPIEDADES