AMERICA , PASTOR BESSON

USD 28.000

Venta en Esperanza, Departamento de Las Colonias

USD 28.000

  • Campo

    Campo

9 HAS ESPERANZA

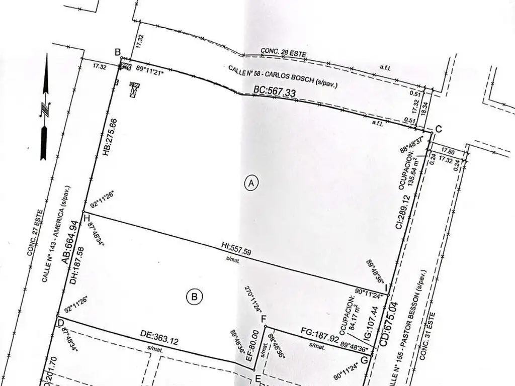
9 HAS LOTE B IDEAL PARA LOTEO UBICADO ENTRE CALLES : AMERICA Y PASTOR BESSON , CARLOS BOSCH Y ECUADOR
La red eléctrica va por América hasta Ecuador. Y por calle Bosch.
VALOR : U$S 28.000 la ha.




Ubicación

Esperanza, Departamento de Las Colonias, Santa Fe

  • Tipo de operación: Venta

  • Precio: USD 28.000

Código de aviso: PRO-585501

Contactá al anunciante

Libertador Servicios Inmobiliarios